Яблони листья болезни: описание с фотографиями и способы лечения, видео
| Заболевание | Симптомы | Устойчивые сорта |
| Грибковые | ||
| Парша | На верхней стороне листьев появляются темные, оливково-зеленые пятна. Листовые пластинки становятся жесткими и осыпаются. Созревающие плоды покрываются темно-серыми пятнами, бархатистыми на ощупь. Мякоть в пораженных местах получается опробковевшей, кожица уплотняется и покрывается трещинами. Яблоки перестают наливаться, опадают недозревшими | Солнышко, Имрус, Флорина, Кандиль орловский, Имант, Яблочный спас, Рождественское, Прима, Орловский пионер, Либерти, Макфри, Редфри, Сир Прайз, Чистотел и другие |
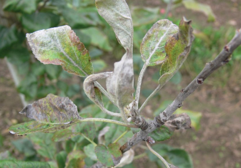
| Мучнистая роса | Проявляется в виде серовато-белого налета на побегах, листьях и цветочных бутонах. Завязи либо не формируются, либо опадают, не начав расти. Пораженные листья скручиваются, твердеют и опадают | Устойчивы: Апорт зимний, Грушовка московская, Глостер, Амулет, Олимпийское, Фея, Черноморское, Присцилла и др.![]() |
| Ржавчина | Плоские пятна «ржавого» цвета на верхних частях листьев. На изнанке листовых пластинок пятна объемные, с раскрывающимися в виде кисточек конусовидными выростами. Наблюдаются осыпание недозревших плодов, угнетение роста молодых побегов, их утолщение и отмирание. В следующем сезоне пораженная кора не стволе и ветвях местами растрескивается | Абсолютно устойчивых сортов нет, но яблони, имеющие гены невосприимчивости к парше, ржавчиной поражаются редко |
| Бурая пятнистость (филлостиктоз) | На листовых пластинках небольшие округлые пятна желтого цвета либо буроватые с коричневой каймой. Преждевременное усыхание листьев | Относительно устойчивы: Батул и Соливарское благородное |
| Цитоспороз | Страдает кора молодых побегов и скелетных ветвей. Поверхность на пораженных участках «размочаливается», на границе больной и здоровой ткани образуется трещина. На коре появляются изъязвления красновато-коричневого цвета, захватывающие нижележащие слои древесины. Ранки нередко выделяют камедь. В начале следующего сезона на зараженных местах заметны толстые черные наросты. При молниеносном течении заболевания поражения развиваются в развилках скелетных ветвей, что часто приводит к гибели дерева |
Устойчивых сортов нет |
| Черный рак | На коре крупных ветвей и штамба образуются вдавленные пятна красновато-бурой окраски. Со временем они темнеют и расширяются, центральные зоны становятся черными. На молодых побегах кора отслаивается, сами побеги усыхают. Листовые пластинки покрываются буроватыми пятнами, которые со временем светлеют (сереют) по центру. Листья преждевременно опадают. Поражение цветов напоминает ожоги: лепестки буреют и сохнут. На кожице плодов образуются бурые пятна, мякоть загнивает. Недозревшие яблочки чернеют и мумифицируются. Без лечения дерево погибает в течение 3-4 лет | Относительно устойчивы: Айдаред, Джонатан, Лобо, Кандиль Синап и некоторые другие |
| Обыкновенный рак (европейский) | На крупных ветвях, штамбе и развилках образуются крупные раны с наплывами по краям. Древесина под зараженной корой гниет. При поражении развилок ветви обламываются. Рост новых побегов угнетен |
Повышенной устойчивостью отличаются: Антоновка, Голден Делишес, Лобо, Джонатан, Айдаред, Фантазия, Кортланд, Примула, Дискавери |
| Монилиальный ожог | Лепестки цветов буреют и засыхают. Аналогичные поражения наблюдаются на завязях, плодовых веточках и кольчатках. Листовые пластинки тоже усыхают, но не опадают. На созревающих и спелых плодах монилиоз (плодовая гниль) проявляется бурыми мягкими пятнами с сероватыми крапинками, расположенными в виде концентрических окружностей | Иммунных сортов нет. Относительно устойчивы: Джонатан, Пепин шафранный, Уэлси, Айдаред, Кальвиль снежный, Онтарио |
| Фитофтороз (корневая гниль или гниль корневой шейки) | Поражается штамб выше или ниже места прививки. На поверхности появляется зона синевато-фиолетовой окраски. Кора растрескивается и отслаивается, камбий и нижележащие слои древесины загнивают. Если поражение «окольцовывает» весь ствол, дерево гибнет |
Устойчивы подвои М9 и М26, а также сорта Антоновка, Мельба, Либерти, Фридом |
| Млечный блеск | Под кожицей листовых пластинок образуются воздушные полости, вследствие чего цвет листвы становится матово-серебристым. В дальнейшем листья покрываются темными пятнами, деформируются и усыхают, начиная с кончиков. При отсутствии лечения поражается древесина: на спилах видны бурые пятна с очень светлой окантовкой | Иммунных сортов нет. Повышенная устойчивость характерна для: Голден Делишес, Антоновки, Джонатана, Лобо, Айдареда, Фантазии |
| Бактериальные | ||
| Бактериальный ожог (бактериоз) | Заболевание начинается с верхушки и быстро охватывает все дерево. Цветы вянут и засыхают. Молодые листья и побеги увядают, скручиваются, начиная с кончиков. Пораженные части чернеют, но не опадают. Ветви и ствол покрываются мокнущими язвами: кора в этих местах выглядит мягкой, выделяет белую или желтоватую жидкость. При подсыхании язвы становятся клиновидными, образуются заметные утолщения (валики) на границе здоровой и больной ткани |
Устойчивы: Ред Делишес, Мекинтош, Прима, Либерти, Мелроуз Среднеустойчивы: Джонаголд, Спартан, Кортланд |
| Бактериальный рак (некроз коры) | На листьях появляются пятна коричневого цвета. На коре образуются светлые пятна-подушечки, мягкие на ощупь. Их поверхность растрескивается и лопается. На следующий год края разрывов задираются, кора на штамбе начинает «шелушиться». Болезнь обостряется весной и осенью (при умеренных температурах). Со временем поражается не только кора, но и камбий и сосудистая ткань дерева | Устойчивых сортов нет. Кроме яблони к поражению склонны также груша и айва |
| Бактериальный корневой рак | Поражаются юные саженцы. На корневой шейке и боковых корнях образуются мягкие, серовато-белые наросты. Со временем они твердеют и приобретают бурый цвет. Зараженные растения плохо приживаются при пересадке, дают слабый прирост и низкие урожаи | Наиболее устойчивы саженцы, представляющие собой культурные сорта, привитые на сеянцы «дичек». Максимально поражаются клоновые подвои, взятые с культиваров |
| Вирусные и микоплазменные | ||
| Мозаика | Первые весенние листочки покрываются светлыми «мозаичными» пятнами. При этом листва, выросшая летом, выглядит нормально. Пораженные листья мельчают, преждевременно желтеют и опадают. Рост новых побегов угнетен. Снижаются урожайность и качество плодов | Среднеустойчивы: Пепин шафранный, Десертное превосходное, Розовое Петрова |
| Звездчатость плодов | На незрелых яблочках появляются темные бесформенные пятна с «звездчатым» растрескиванием в центре. Кожица рядом с трещинами чернеет. Листья на верхних ветвях светлеют. Замедляется рост молодых побегов, цветение начинается позже обычного срока | Нет |
| Метельчатость (пролиферация) | В середине лета на больных ветвях образуются так называемые «ведьмины метлы» – пучки вертикальных тонких побегов с укороченными междоузлиями и мелкими листьями. Прилистники несоразмерно большие, с острыми зубчиками. Пораженные деревья поздно формируют бутоны; цветы имеют неправильную форму и лепестки зеленоватого цвета. Плоды получаются безвкусные, мелкие |
Устойчива Антоновка. Среднеустойчивы: Айдаред, Спартан, Кальвиль снежный, Кортланд, Старкинг и др. |
| Бороздчатость древесины | В зоне срастания подвоя с привоем образуются плоские борозды и некротизированные пятна. На штамбе – рубцы и вздутия очень темного (почти черного) цвета. Листья преждевременно желтеют и краснеют. Плоды приобретают ярко-красную окраску задолго до полного налива и созревания. Рост молодых побегов угнетен. Большинство пораженных деревьев погибает | Нет |
| Хлоротическая пятнистость листьев | Светлые пятна на листьях, сливающиеся в «ленточные» узоры. На кожице плодов шершавые буровато-коричневые пятна в виде колец или полуколец. Угнетение роста молодых побегов. Снижение урожайности. Ослабление устойчивости к неблагоприятным погодным условиям | Нет |
| Ямчатость древесины | Ямки и продольные борозды на поверхности древесины (под корой), особенно развитые в местах срастания подвоя и привоя. Угнетение роста и усыхание концов молодых побегов. Измельчание и морщинистость плодов |
Нет |
| Гуттаперчевость древесины | Однолетние побеги свисают вниз. Двух-трехлетние ветви очень гибкие («резиновые»). Крона приобретает «плакучую» форму. Дерево легко ломается под порывами ветра, плохо переносит низкие температуры | Нет |
| Плоскость ветвей | На скелетных ветвях наблюдаются утолщения длиной до 30 см и короткие линейные вмятины глубиной 3-4 см. «Глазки» в местах окулировки выглядят вдавленными в древесину. Плоды мельчают, урожайность падает | Относительно устойчивы: Голден Делишес, Джонатан, Кортланд, Кокс Оранж |
| Розеточность (мелколистность) | Листья мелкие, жесткие, узкие, деформированные (часто чашеобразной формы). При нормальном цветении плоды не завязываются | Нет |
самый полный перечень болезней и проверенные методы борьбы с ними
С каждым годом движется вперед прогресс, но и болезни не стоят на месте, как у людей, так и у растений.
Гнили яблони: белая и светло-желтая гниль древесины, сизая плесневидная гниль
Если раньше грибы трутовики возможно было заметить лишь в лесу на полуживых деревьях, то сейчас не редкость они и в садах. Особенно полюбили селиться грибы – паразиты на яблонях, вызывая различные гнили стволов.
В зависимости от вида грибов, возникает и свой вид плесени. Замечу, что несмотря на небольшой размер трутовика, повреждения на стволах от него бывают значительными, вплоть до гибели древесины.
На стволе дерева мы видим лишь сам гриб, его грибница, что занимают обширную площади ствола, нам не видна. Именно грибница разрушает древесные ткани дерева, и происходит это достаточно быстро.
Грибница трутовика внедряется в древесные ткани и перехватывает из них те соки, что предназначались для кроны, ткани при этом отмирают.
При борьбе с гнилями стволов нужно учесть, что сначала появляется на штамбе дерева грибница, а затем уже из нее вырастают и грибы, которые мы и видим. К моменту образования трутовиков, как правило, дерево уже достаточно заражено.
Белую и светло-желтую гниль яблони вызывает настоящий трутовик, он отлично знаком грибникам. Имеет темное каплевидное тело, может достигать огромных размеров. Примерно в метре от появления трутовика древесина яблони меняет свои очертания, кора отделяется в виде темных лент вдоль ствола. Под корой виднеются вкрапления грибницы бурого тона. Бывает, что и после схода коры отделяется многослойными лентами и сама древесина.
Ложный и чешуйчатый трутовик вызывают белую сердцевидную гниль штамба яблони.
При заражении яблони ложным трутовиком древесина становится легкой, грибница в прямом смысле слова, буквально высасывает из дерева соки, подобно вампиру.
На коре дерева при поражении ложным трутовиком заметны светлые линии с черными прожилками внутри, похожие на некие дорожки.
Грибница чешуйчатого трутовика, захватывая яблоню, довольно быстро обнаруживает себя появлением небольших беловатых грибов на длинных ножках, на деревьях образуются трещины, становясь со временем все глубже.
Откровенно говоря, появление грибов, в отличии от мха, на коре деревьев – признак нехороший. Некоторые садоводы появлению трутовиков не придают значения, считая, что по аналогии с мхом они не приносят вреда и свидетельствуют об отличной экологии.
На здоровых деревьях, за которыми ежегодно следят, появление грибов – паразитов исключено, грибнице не за что зацепиться.
Яблони в старых садах или те, за которыми не следят – легкая нажива для трутовиков.
Как правило, на таких деревьях есть повреждения коры, места повреждений и другие ранки, через которые и начинается процесс гниения древесины, а следом и заселение их спорами грибов.
Меры борьбы с гнилью яблонь
Что делать, если на штамбе яблони вы обнаружили трутовик или споры грибницы:
- Я вооружаюсь острым ножом и срезаю грибы прямо по древесине, затем чищу ствол при помощи специальной металлической щетки;
- Место среза гриба протираю водкой;
- Обрабатываю ствол яблони 3% раствором медного купороса, хорошо это делать в сухую погоду;
- После полного высыхания белю яблоню, если процедура очистки приходится на осень.
Прежде чем начать лечение яблони, нужно оценить масштаб бедствия. Если большая часть скелетных ветвей и штамба имеет зараженную кору, лечить такую бесполезно.
Иногда в садах я встречался с интересным явлением, когда яблоня была почти полностью заражена грибами, ее крона была слабой и почти безжизненной, но после пары лет лечения она давала мощные побеги выше прививки, за счет которых и происходило дальнейшее восстановление дерева.
При этом весь пораженный ствол я спиливал.
«Ведьмина метла», что по — научному — пролиферация или чрезмерное разрастание
Вирусное заболевание, при котором на стволах яблони образуется бурный рост молодых побегов, как правило, из одной точки. Возникает ощущение, будто бы на стволе внезапно вырос куст с прямыми ветками. За необычный вид такое заболевание имеет распространенное народное название – «ведьмина метла». Бытует мнение, будто ведьмы во время шабаша оставляют подобные отметины на деревьях, пролетая над садами.
Болезнь легко распознать, пучки веток появляются на боковых скелетных ветвях. Листья на них в основании черешка имеют два дополнительных листочка – широкие прилистники.
Яблоки с такого дерева проигрывают во вкусе и становятся намного мельче. Кора ветвей, на которых растут «ведьмины метлы» окрашивается в яркий цвет, а с середины лета такой оттенок приобретают и листья.
Яблони, пораженные пролиферацией, выглядят несколько экзотично, начиная со второй половины лета.
В центре плодовых деревьев виднеются густые кустики с листьями алого цвета.
Меры борьбы с «Ведьминой метлой» на яблони
К сожалению, мер по борьбе с подобной болезнью не существует. Разве что можно попробовать спилить пораженную ветку вместе с «ведьминой метлой», если это возможно, и иных признаков чрезмерного разрастания нет, и сжечь. Бывает, что болезнь в сады больше не наведывается.
Если дерево имеет несколько очагов пролиферации, его удаляют и сжигают, чтобы обезопасить и другие яблони в саду.
В качестве профилактики чрезмерного разрастания, нужно тщательно обследовать саженцы в питомнике во время покупки. Нелишним будет и спросить продавца, не было ли у них замечено чрезмерное разрастание на саженцах.
Заболевание яблони «Млечный блеск»
Млечный блеск – еще одно заболевание яблони, как отголосок прошедшей суровой зимы.
Проявляется весной или в начале лета на развернувшихся молодых листочках. При первоначальном рассмотрении возникает ощущение, будто бы кто-то опрыскал крону яблони из баллончика с серебряной краской.
Можно принять такие пятна на листьях и за солнечные ожоги.
Подобные листья появляются после попадания влаги на листву яблони в знойный день, когда солнечные лучи обжигают листву.
Листья яблони, имеющие беловатый или перламутровый тон, появляются у яблонь, пострадавших от мороза в лютую зиму. Если присмотреться, можно обнаружить, что и на самом штамбе и скелетных ветвях есть такие повреждения, как морозобоины, темные пятна и трещины на коре.
Как бороться с Млечным блеском на листьях яблони
Млечный блеск на листьях яблони – это лишь следствие пережитой зимы, когда часть древесных тканей у яблони не функционирует из-за повреждения морозом.
Чтобы не допустить негативного проявления мороза на штамбе яблони, отличной защитой станет известковая побелка поздней осенью. Такую защитную операцию я обычно провожу в конце осени, когда со дня на день ударят морозы, и дождь уже не смоет побелку.
Помимо того, чтобы быть уверенным в отличной морозостойкости яблонь в своем саду, я выбираю те сорта, что подходят для климата именно моего участка.
Для северных регионов нужны сорта с повышенной морозостойкостью.
Заболевание яблони «Мозаичная болезнь»
Интересно, что мозаичность на яблоне имеет несколько градаций. Так, на одном дереве она может быть менее выражена и иметь определение слабой желто – зеленой мозаики, на другом – отмечена ярким желтым мозаичным узором на листьях – это яркая или резкая мозаика.
Из-за несколько различных проявлений мозаики садоводы часто сомневаются в правильном диагнозе для своей яблони.
Летом заметить проявления менее выраженной мозаики достаточно сложно, особенно, если яблоне уже много лет и у нее раскидистая высокая крона.
В целом, любые проявления мозаики отличаются появлением желтоватых пятен на листьях или целиком желтой пластины с темными жилками между ними. Жилки сохраняют свой цвет.Для яблонь, зараженных мозаичностью, характерны такие моменты, как:
- Общее измельчение листьев, возникает ощущение, будто бы им не хватает питания, чтобы набрать достаточный размер листовой пластины;
- Из крупных и сочных, плоды превращаются в мелковатые с весьма посредственным вкусом;
- Общий вид яблони выглядит неважным.
Меры борьбы с Мозаичной болезнью яблони
Для тех садоводов, что хотят иметь здоровые яблони и обойтись без знакомства с мозаикой, есть ряд рекомендованных профилактических мер, а именно:
- Хорошо приобретать саженцы не у обочины или у дороги, а в проверенных садовых магазинах и центрах;
- При приобретении саженца, нужно не только внимательно его осмотреть, но и окинуть оценивающим взглядом другие плодовые деревья. Если хотя бы на одном из них листва покажется вам подозрительной, не стоит приобретать саженцы в таком месте, велика вероятность, что вирус мозаики со временем проявится и на вашей яблоне;
- Опасность представляет такое мелкое и мало заметное на первый взгляд насекомое, как тля. Она является переносчиком различных заболеваний. При обнаружении тли я незамедлительно опрыскиваю растения актелликом или карбофосом, либо готовлю экологический раствор из томатной ботвы.
Как правило, тля появляется на новых побегах яблони со второй половины лета, тогда и нужно тщательно осматривать деревья на предмет обнаружения вредителей.
Выдадут насекомых скрученные листики на самых концах побегах и вереница муравьев, что бежит на дойку тли.
К сожалению, от мозаики нет высокоэффективных средств борьбы, такие деревья удаляют. При незначительном поражении, проводят обрезку больных веток и опрыскивают растение бордоской смесью.
Чтобы снизить вероятность проявления мозаики на яблонях, не нужно высаживать такие не устойчивые к болезни сорта, как: Белый налив, Винное, Лифляндский, Осеннее полосатое и Ренет золотой.
Мухосед яблони
Несмотря на название, эта болезнь ничего общего с мухами не имеет. Зато ее проявления очень похожи на отходы жизнедеятельности назойливых мух, откуда пошло и название.
Болезнь не столько страшна и опасна, как неприятны ее проявления. Мухосед яблони вызывается грибком, споры которого находятся на поверхности яблок и представляют собой скопление черных точек, на ощупь слегка выпуклых, в определенном месте. Грибок захватывает плоды созревшие и готовые к сбору.
Употреблять в пищу такие яблоки неприятно, хотя их вкусовые качества при этой болезни не меняются.
Сильные потери при появлении мухоседа на яблоках, несут те садоводы, что собирают яблоки для реализации. Объяснять покупателям, что яблоки, хоть и неприятные на вид, но вкусные – занятие неблагодарное, да и бесполезное.
Споры грибка мухоседа обитают только на яблочной кожуре, в мякоть они не проникают. Если почистить кожуру, такие яблоки станут пригодны для еды и сохранят свои отменные вкусовые качества.
Как бороться с Мухоседом яблони
Есть несколько факторов, что приводят к появлению мухоседа, а именно:
- Загущенные посадки яблонь, когда при размещении их в виде саженцев казалось, что вырастут они не быстро, да и вряд ли будут большими, поэтому сажали их часто;
- Дождливая погода в момент созревания урожая также способствует развитию спор грибка;
- Посадка на торфяниках и в низинах, если место посадки для яблони не приподнимали над общем уровнем почвы хотя бы на 30 – 40 см.
Если в один из сезонов вы обнаружили признаки грибка мухоседа на яблоках, то в следующем году актуально провести ряд таких профилактических мероприятий, как:
- Провести трехкратное опрыскивание: еще до этапа раскрывания почек яблони обрабатывают препаратом ДНОК, затем после завершения цветения обрабатывают бордоской смесью или иными, замещающими ее препаратами. Спустя три недели после цветения обрабатывают суспензией цинеба или каптана.
При работе с бордоской жидкостью летом нужно учитывать, что после нее у некоторых сортов возможен ожог листьев. Чтобы избежать ожога яблони, опрыскивают пару нижних веток в качестве теста и наблюдают за ними в течение пяти дней. Если листва осталась зеленой, обрабатывают дерево полностью.
- Осеннюю листву с больных деревьев собирают вплоть до единого листика и сжигают. Делают это сразу после листопада;
- При сильном поражении яблоней грибком хороший результат дает осенняя перекопка почвы на 20 – 30 см с переворачиванием земляных комьев;
- Неплохо и замульчировать приствольные круги яблонь новой почвой или конским перепревшим навозом.
Мучнистая роса на яблони
Мучнистая роса на яблоне
Заболевание, поражающее яблони в особо дождливые и сырые годы. Мучнистую росу легко распознать по белесым или слегка голубоватым кончикам молодых побегов, они покрыты особым налетом.
Мучнистая роса бывает выражена и слегка рыжеватым налетом. Характерно, что если попробовать стереть налет, то на начальной стадии появления, когда грибница еще не проникла внутрь тканей, он легко стирается, спустя же пару недель после появления – налет стереть невозможно, он покрывает листья, словно вторая кожа.
В дождливый сезон садоводу нужно быть особенно внимательным, осматривая на предмет мучнистой росы не только плодовый сад с яблонями, грушами и смородиной, но и овощи в огороде, особенно тыквенные.
Что приводит к появлению мучнистой росы:
- Затяжные дожди, с которыми и распространятся грибок и надежно закрепляется на влажных листьях;
- Загущенные посадки, когда отсутствует естественное проветривание;
- Посадки в тени и с северной стороны построек также способствуют развитию грибковых спор мучнистой росы;
- Если вовремя не убирается опавшая листва, она также становится надежным пристанищем для грибковых спор.
Грибок мучнистой росы зимует в пораженных почках тех побегов, которые он захватил в прошлом сезоне, поэтому при появлении мучнистой росы важно проводить мероприятия по борьбе с ней, иначе болезнь станет накапливаться, захватывая с каждым годом все большее количество растений и в более ранниие сроки.
Как бороться с мучнистой росой на яблони
С мучнистой росой бороться можно, особый эффект дают такие профилактические мероприятия, как:
- При появлении бутонов яблони обрабатывают 2 % суспензией коллоидной серы;
- Сразу же после окончания цветения опрыскивают тем же препаратом, но уже 1% раствором;
- Спустя три недели от второго опрыскивания проводят идентичную обработку.
Все опрыскиванию проводят под вечер в ясную и безветренную погоду, помня о таких средствах защиты, как перчатка, респиратор и кепка.
В качестве альтернативы коллоидной серы применяют такие препараты, как топаз и бордоская смесь, однако, коллоидная сера наиболее эффективна как в качестве профилактики, так и при обнаружении первых признаков.
Мне приходилось использовать различные средства в борьбе с мучнистой росой, и только с помощью серы удавалось эффективно загасить очаги заболевания.
Чтобы снизить распространение по саду мучнистой росы, есть сорта, устойчивые к этой болезни: Сары синап, Ренет шампанский, Ренет орлеанский, Пармен зимний золотой и Боровинка.
Рак яблони: обыкновенный рак (язвенный) и черный
Черный рак яблони
Это болезни, которые наиболее трудно поддаются лечению, однако, важно их вовремя заметить.
Язвенному раку у яблони повержены и ветви, и ствол. Характеризуется болезнь весьма неприятно – это различной формы наросты. Стебли яблони, больные раком, в определенных частях ненормально утолщаются, будто бы их искусственно надули, впоследствии в этих местах кора древесины загнивает, приобретая характерный черный тон.
Заражаются яблони раком через механические повреждения: порезы, царапины, содранную кору и случайные борозды от пилы при обрезке деревьев.
Если поблизости нет спор грибка, носителя рака, такие повреждения зарастают. Однако бывает так, что в поврежденные древесные ткани проникают споры ракового грибка. Они мгновенно заселяют большую часть площади и уродуют древесную ткань, вызывая в ней генетические повреждения, а в дальнейшем, и гибель.
Раковое заболевание подразделяется на подвиды:
- Открытая форма рака, когда снаружи появляются крупные язвы с неестественно вывернутыми и утолщенными краями. Такое явление похоже на вытекшие мозги из фильма ужасов или огромный грецкий орех, вернее, его содержимое;
- Суставовидная форма также отличается обширными язвами, их очертания и правда похожи на человеческие суставы;
- Закрытая форма обыкновенного рака яблони отличается меньшими по размеру язвами, в центре видна древесина, а по краям раны – слизистые наросты.
Наиболее быстро яблони погибают при открытой форме рака, это наиболее зловредный грибок, захватывающий здоровую ткань дерева с космической скоростью.
Черный рак или «антонов огонь», пожалуй, более опасен по сравнению с черным, потому что распространяется он в разы быстрее, за что и получил такое народное название. Черный рак поражает не только стволы, но и цветы с листьями, а также и сами яблоки.
Распознать черный рак возможно по таким симптомам, как:
- Появление на коре пятен бурого или фиолетового тона;
- Со временем пятна разрастаются и становятся вдавленными, а пораженные участки выглядят так, будто их обожгли, они похожи на угольки;
- Со временем больные участки разрастаются в кольца, что опоясывают стволы и ветви деревьев;
- Листья яблони, больной черным раком приобретают пятна бурого или красноватого тона;
- Пораженные цветы засыхают;
- Угнетающее зрелище представляют собой и зараженные плоды, они становятся черными, похожими на мумифицированные, с ярким блеском.
Черный рак яблони – болезнь, поражающие ослабленные деревья, которым не хватает питания и ухода.
Интересно, что сильные деревья, как правило, сами излечиваются от черного рака, они выталкивают споры грибка, вызывающие черный рак.
Как и обыкновенный, черный рак попадает на деревья через различные повреждения, но в отличие от язвенного, остается лишь на слабых яблонях.
Как лечить рак яблони
В основном, пораженное дерево спасти не удается, особенно, если болезнь развивается с основного ствола. При обнаружении первых признаков болезни пробуют принять такие меры, как:
- Обрезают больные ветки до здорового среза древесины и сжигают. Место среза обрабатывают водкой или медным купоросом;
- На стволе острым ножом проводят настоящую операцию: пробуют вырезать язвы;
- Все дерево обрабатывают 1 % бордоской жидкостью, уделяют особое внимание увлажнению ствола и скелетных и иных веток;
- Места дерева после удаления уродливых язв заделывают масляной краской.
Проводят также и ряд профилактических мероприятий, чтобы не допустить появление на яблонях рака, а именно:
- Любые повреждения тут же зачищают и замазывают искусственной крой или варом;
- В целях профилактики весной опрыскивают медным купоросом;
- При приобретении саженцев внимательно их осматривают, при любых подозрительных пятнах от покупки лучше отказаться.
Парша яблони
Парша яблони
Бич многих садов – это парша яблони, о которой раньше знали, пожалуй, лишь понаслышке. Это грибковое заболевание, что поражает все части яблони, включая стволы, листья, и плоды.
Грибок парши ежегодно комфортно зимует в опавшей яблоневой листве, а с первыми затяжными дождями захватывает и само дерево.
Проявляется парша в темных, шероховатых на ощупь пятнах на плодах, приводящих к растрескиванию мякоти яблок. Темные пятна появляются и на листья, на ветвях дерева парша выделяется в
Болезни яблонь с описанием и борьба с ними, видео и фото
Одно из самых любимых деревьев нашего плодового сада – яблоня. Она защищена от огромного количества различных инфекций только при условии приобретения здорового саженца и соблюдении всех необходимых приёмов выращивания.
Широкое распространение различных старых и новых инфекций, которые приводят к болезни яблонь, связано одновременно как с развитием садоводства, так и с неухоженностью наших садов.
Без знания симптомов хотя бы основных заболеваний невозможно предупредить болезнь и тем более победить её.
Содержание
Грибковые инфекции
Самые распространённые, многочисленные и устойчивые инфекции плодовых растений – грибковые. Это связано с огромным количеством болезнетворных патогенов грибковой природы.
Важно! Инфекция поражает не только яблоньки в садах, но и практически любые растения.
Грибковая инфекция передаётся от растения к растению ветром, дождём, насекомыми, птицами, человеком. Грибковые микроорганизмы очень стойкие, они не боятся холода, жары, засухи или дождей. Для развития грибков требуется только влага.
Часто установить причину заболевания плодоносящих яблонь легко по внешнему виду листьев, яблок и даже коры. Ржавые пятна или дырки на листве, гнилые, плесневые и засохшие яблоки, отслаивающаяся кора – все указывает на грибковой болезни.
Грибковых патогенов яблонь известно великое множество.
Здесь приводится описание инфекций, причиняющих наибольший вред. А также указаны меры борьбы с ними.
Грибковые инфекции распространяются с наступлением тепла, когда температура воздуха поднимается до +10 градусов.
Повышенная сырость и влажность также способствуют прогрессированию болезней. Исключение составляет мучнистая роса, ей благоприятствует сухая погода.
Грибковые заболевания обычно инфицируют все растение, но условно болезни яблонь делят на три группы:
- вызывающие гниение и плесневение фруктов;
- покрывающие дырками и пятнами листья;
- приводящие к поражению коры.
Это, конечно, только первые характерные признаки болезни, за ними последуют иные болезненные изменения.
Болезни, вызывающие гниль и плесень
Сейчас мы рассмотрим самые опасные заболевания для яблони.
Парша
Наиболее общеизвестное и часто встречающееся грибковое заболевание на территории России. Признаки болезни очень характерны, их не спутаешь с прочими инфекциями: листья и плоды обрастают оливковыми пятнами, затем листочки осыпаются, а яблоки становятся каменистыми и невкусными.
Защитные действия: уборка опавшей листвы и падалицы. Опрыскивание яблони в начале вегетации бордоской жидкостью или оксихлоридом меди, затем 4-кратная обработка препаратами Хорус, Скор, Кумулус.
Мучнистая роса
В конце весны листочки покрывает беловатый мучнистый налет. Листья теряют способность вырабатывать хлорофилл, со временем свёртываются и засыхают, побеги замедляют развитие, искривляются. Грибок на яблоне препятствует образованию фруктов. На уже растущих яблоках зараза преобразовывает мякоть в пробковую ткань.
Мучнистая роса на яблоне часто появляется в запущенных густых посадках, где давно не велись работы по обрезке. Как вылечить заболевшее дерево?
Защитные действия: обрезка заражённых веток, обработка по «зелёному конусу» средством Тиовит Джет, затем Топазом.
Монилиоз (плодовая гниль)
Инфекция широко распространена в садах и поражает плоды в громадных количествах, уничтожая урожай почти полностью. Симптомы заболевания – появление на плодах гнилостных кругов с беловатыми точками.
Кроме яблок, монилиоз губит листья, цветки, завязи, плодовые веточки. Они буреют, засыхают и долго не облетают.
Защитные действия: уборка падалицы, вырезание и удаление заражённых сучьев, 3-разовая обработка 1% раствором бордоской жидкости.
Серая гниль
Симптомы поражения серой гнилью весьма напоминают плодовую гниль. Зараза губит фрукты, на которых быстро разрастается появившееся пятно гнили. Вместо кольцевых белых пятен плодовой гнили, поражённые яблоки покрываются налётом серой плесени.
Защитные действия: сбор гнилых яблок, удаление сухих и больных сучьев, обработка 1% раствором бордоской жидкостью.
Болезни, вызывающие изменения листьев
Теперь мы рассмотрим причины деформации листьев фруктового дерева.
Филлостиктоз (бурая пятнистость листьев)
Часто встречающаяся инфекция в яблоневых садах. Этот грибок поражает листочки, на них разрастаются небольшие бурые пятна, которые позже становятся серыми с коричневым ореолом и чёрными точками.
Болезни листьев провоцируют голодание растения, яблоня недополучает питания из-за недостаточной выработки хлорофилла, она не подготовлена к зимней спячке.
Защитные действия: сбор и сжигание опавших листьев, перекопка земли губит большое количество зимующих спор. Стоит начать обработку дерева фунгицидными препаратами: 5% раствором мочевины по голым веткам. 7% раствором мочевины обрабатывают землю вокруг деревом.
В начале появления листьев делают обработку 3% раствором бордоской жидкости. При отрастании бутонов применяют 1% раствор бордоской жидкости.
Ржавчина
Пораженные листья обращают на себя внимание разрастающимися овальными и оранжево-красными пятнышками с чёрными точками. С обратной части листика отрастают конусовидные выросты. Иногда пятна имеют желтый цвет. Листочки перестают вырабатывать хлорофилл в нужном объёме, яблоня начинает голодать.
Лечение плодоносящей яблони заключается в опрыскивании 1% раствором бордосской жидкости до зацветания и вслед за ним.
Раной весной, до появления листьев, дерево обрабатывают 5% раствором медного купороса или раствором мочевины.
Сажистый грибок
Поверхности листьев, плодов и побегов затягивает чёрный сажистый налёт, который препятствует доступу света и кислорода. Обычно грибок появляется на сладких капельках, выделенных тлями или щитовками. Чем опрыскивать яблони при обнаружении этой инфекции?
Защитные действия: после уборки яблок яблоню опрыскивают 1% раствором бордоской жидкости или её аналогами – ХОМ, Абига-Пик.
В профилактических целях делают обработку яблони после отцветания баковой смесью ХОМ и Фуфанона.
Млечный сок
Заражённые листья и веточки покрываются молочным или серебристым налётом с перламутровым блеском. Новые веточки не плодоносят. На тех ветках, где уже росли плоды, яблоки перестают расти, осыпаются.
Через несколько сезонов веточки засыхают, яблоня медленно, но неуклонно погибает. В запущенном состоянии на дереве разрастаются бело-серебристые полосы.
Защитные действия: заболевшие сучья вырезают, срезы дезинфицируют 1% раствором медного купороса и замазывают садовым варом. Обрезают участки заражённой коры. Яблоню белят известковым раствором. Дополнительно вносят удобрение, особенно необходимо комплексное минеральное.
Болезни, вызывающие поражение коры
Кору фруктового дерева могут поразить следующие заболевания.
Цитоспороз (инфекционное увядание коры)
Характерный признак инфекции – многочисленные крупные выпуклые бугорки плодовых тел грибка, покрывающие кору в месте заражения. На границе между заражённой и живой тканью появляется трещина, перерастающая в язву. Кора вокруг темнеет, меняет цвет на красноватый и постепенно отмирает.
Болезни ствола плодовой яблони губят новые посадки в весенний период. У взрослых деревьев сильно страдают только ослабленные экземпляры.
Борьба с болезнью возможна на начальных стадиях, если поражена кора, но не древесина. Лечение заключается в спиливании засыхающих сучьев.
Опрыскивание насаждений бордоской жидкостью или другими медьсодержащими препаратами препятствует распространению любых грибковых инфекций.
Туберкуляриоз (усыхание ветвей)
В середине лета на яблоне заметны деформированные листочки, на тыльной стороне которых проявляются красные пятна. В конце лета повреждённые листья и ветви начинают усыхать с верхушки. Больные сучья покрываются красными бугорками-подушками со спорами.
Защитные действия: болезни коры останавливают путём удаления заражённых сучьев, яблоня постоянно обрабатывается медьсодержащими препаратами.
Чёрный рак
Болезнь зачастую стартует в разветвлении крупных ветвей. Сначала появляются пятна красновато-бурые на яблоне. Затем кора становится угольно-чёрной, трескается, обнажая внутреннюю часть древесины. Постепенно кора в этих местах отмирает.
Плоды загнивают и чернеют, коричневые листья на яблоне начинают массово опадать. При развитии заразы на штамбе черный рак яблони через год-два вызывает полное усыхание дерева.
Болезнь губит старые яблони, на молодых растениях оно не встречается.
Что делать если треснул ствол яблони? В этой стадии болезни можно только выкорчевать яблоню.
Защитные действия: заражённые ветви обрезают, захватывая 20–40 см здоровой ткани, срез обеззараживают 1% раствором медного купороса и замазывают защитным составом. И также поступают со всеми ранками.
Профилактика заключается в обязательной побелке дерева и опрыскивании медьсодержащими препаратами.
Антрактоз
Эта новая инфекция появилась в садах южных областей России. Грибковые тела разрастаются на коре, образуя типичные округлые углубления бурого цвета. Границу между живой и заражённой областью разделяют щели. Поражённые участки постепенно окрашиваются в красно-коричневый цвет и отмирают.
Такое состояние коры обуславливает то, что отросшие новые веточки зарастают тёмно-фиолетовыми пятнами, почки и листья на ветках засыхают. На яблоках появляются мелкими выпуклые пятна. Они могут образоваться на фруктах во время хранения.
Мякоть делается невкусной, иногда горькой.
Как лечить яблоню, заражённую антрактозом? До распускания листьев проводят обследование деревьев и вырезают сучья со следами болезни, очищают и замазывают язвы и раны, обрабатывают деревья фунгицидами.
Фитофтороз
К счастью, это заболевание на территории России, в отличие от Европы, встречается редко. Если у томата, перца, картофеля грибок вызывает пятна бурого цвета на листве, то на яблоне он поражает корневую шейку или корни.
Заражённые участки коры приобретают фиолетово-синюю окраску, трескаются и обнажают гниющую под ними древесину.
Лечить такое дерево очень сложно, легче его удалить, чтобы не распространять заразу.
Болезни яблони очень многочисленны и лечение занимает много времени и сил. Но не всегда садоводу удаётся справиться с заболеванием, яблоня часто погибает.
Значительная потеря урожая наблюдается в любом случае. Поэтому стоит уделять профилактическим мероприятиям в саду значительно больше времени, чтобы не допускать появления инфекций.
Бактериальные инфекции
Болезней бактериального характера немного. Но все они плохо поддаются лечению. Если человека лечат от подобной инфекции с помощью антибиотиков, то подобные лекарства для плодовых деревьев начали выпускать с 80-х годов 20 века.
Причиной появления бактериальной инфекции может быть заражённый посадочный материал. А также инфекция часто переносится птицами – дроздами и скворцами.
Бактериальный ожог ветвей (бактериоз)
Эта болезнь не так давно появилась в России, но уже стала одной из самых опасных. Она числится карантинным заболеванием. Зараза проникает во все части дерева, но больше всего поражаются цветки, завязи и однолетние побеги. Деятельность бактерий начинается при +18–20 °С и высокой влажности.
Сначала кора становится как бы сырой и набухшей, на завязях разрастаются гнилостные пятна, молодые веточки засыхают, на черешках листьев выступают коричневые капельки, по жилкам листьев проступают бурые пятна отмерших тканей.
Затем ветки приобретают вид опалённых огнём, засохшая листва и плоды висят на погибших ветках и не осыпаются, верхушки засохших молодых побегов закручены вверх.
Защитные действия: удаление засохших ветвей, при этом необходимо срезать 20–40 см здоровой древесины, дезинфекция инструмента 10% раствором медного купороса и срезов 1% раствором, замазка их садовым варом. Далее, производят опрыскивание стрептомицином. При сильно развитой инфекции деревья выкорчёвывают, так как засохшие ветки не восстанавливаются.
Профилактика: опрыскивание яблонь летом медьсодержащими препаратами с момента отрастания листьев до конца июня.
Бактериальный рак или некроз коры
Весной хорошо заметно изменение цвета почек на бурый с последующим отмиранием. Весной кора напитывается влагой, а летом подсыхает и рвётся. Внешне эта болезнь напоминает ожог, кора как будто взрывается изнутри. Листочки и соцветия засыхают и не опадают. Молодые побеги тоже засыхают и скручиваются в форме серпа.
Коричневые пятна на листьях — один из признаков некроза коры.
Защитные действия: удаление мест поражения с захватом части здоровой древесины, дезинфекция инструментов и среза медным купоросом.
Бактериальный рак корней
На корневой шейке и корнях разрастаются мягкие гладкие наросты. Понемногу они твердеют, разрастаются и трескаются. Яблоня загнивает и в месте поражения приобретает чёрную окраску, растение не может нормально развиваться и погибает.
Поражённое дерево обычно удаляют вместе с корнем, землю дезинфицируют 3% раствором медного купороса.
В наше время стали производиться новейшие препараты, способные справиться с бактериальной инфекцией. Это препараты, действующие на основе почвенных бактерий, абсолютно безопасные для человека.
Препараты не только обладают выраженным антибактериальным действием, но и фунгицидными свойствами:
- Гамаир отлично противостоит мучнистой росе, серой и корневой гнили, монилиозу, парше, чёрной ножке, пятнистости, ржавчине, фитофторозу, сосудистому и слизистому бактериозу.

- Гаупсин губителен для 96% грибных инфекций, и также отлично борется с табачной мозаикой, бактериозом и многими насекомыми-вредителями.
- Фитолавин содержит в своём составе антибиотик стептоцид, оказывает бактерицидное действие. Например, лечит бактериальный ожог. Очень эффективна баковая смесь Фитоловина и Абика-Пик в половинных дозах.
В своём саду из фунгицидных препаратов можно также использовать:
- Фитоспорин;
- Глиокладин;
- Триходермин;
- Альбин;
- Алирин Б;
- Пентофаг С;
- ВРК.
Вирусные и вирусоподобные инфекции
Вирусы живут и размножаются только в клетках живых растений. Они переносятся с заражённым соком растения при срезке сучьев и прививке черенков через необработанные инструменты.
Важно! Вирусные болезни яблонь имеют различные признаки: мозаичное (пёстрое) окрашивание листвы или уменьшение её размеров, разрастание тканей или отставание в развитии.
Израстание (полиферация)
Болезнь описывается как буйное нарастание разветвлённых жировых побегов («ведьминых мётел»).
Листочки на них небольшие, цветки уродливые, редкие яблоки кривые и безвкусные.
Мозаика яблони
Определяется по появлению весной ярко-жёлтых, а затем бледно-жёлтых полос и пятен на листочках. В местах изменённого цвета ткань со временем отмирает, листья очень рано опадают. Признаки болезни обнаружены только у саженцев яблонь и на молодых деревьях.
Хлоротическая кольцевая пятнистость
Она хорошо заметна в виде жёлтых пятен на листочках вдоль жилок, листья становятся деформированными. Инфекция подавляет рост яблони, уменьшая размер листьев, высоту ствола и толщину веток. На яблоках отчётливо видны бурые опробковевшие кольца.
Розеточность и мелколистность
Инфекция замедляет развитие поражённого дерева, приращение на новых веточках очень незначительное. Листья становятся грубыми, заворачиваются «лодочкой». Размер листьев уменьшается вдвое от нормального. Деревья цветут, но завязей нет.
Ямчатость древесины
Поражённая древесина обнаружены у яблони на Украине и в Молдавии.
В России заболевание пока не наблюдалось. Глубокие вмятины на древесине заметны, только если снять кору. Часто болезнь сопровождается отмиранием клонового подвоя. Яблоки вырастают мелкими и складчатыми. Болезнь распространяется через заражённый привой.
Уплощение ветвей
Болезнь не очень распространена в России. Характерной особенностью является неравномерное разрастание камбия, отчего часть ветвей становятся плоскими или скученными. Из-за этого они хрупкие и обламываются под весом выросших на них яблок. Поражённая кора дерева трескается.
Размягчение древесины и поникание ветвей
Инфицированные ветки становятся слабыми, сгибаются под тяжестью яблок. Яблоня становится похожа на плакучую иву. Яблоки на больных ветках мельчают, их количество снижается на треть.
Важно! Распознавание вирусных заболеваний проводят в вирусологических лабораториях при сельскохозяйственных институтах.
К сожалению, от проникшего вируса избавиться не удастся.
Для устранения очага инфекции придётся выкорчевать заражённое растение.
Неинфекционные заболевания
Угнетённое состояние яблони, пожелтение и опадение листьев, повреждение и отмирание коры может быть спровоцировано неправильным уходом за деревом.
Важно! Яблоня не может быть сильным и плодовитым деревом, если её недостаточно поливают, она не получает достаточного питания, заросла лишайниками, не защищена от стужи и температурных перепадов.
Морозные и солнечные повреждения коры
Зимой морозы часто повреждают кору, камбий и древесину. На яблоне образуются морозобойные трещины. Сильные морозы без снежного покрова повреждает корни молодых растений, высушивают дерево. Весной перепад дневной и ночной температуры достигает несколько десятков градусов, отчего тоже образуется трещина на стволе яблони.
Защитные действия: ежегодная осенняя побелка ограждает дерево от появления морозобоин на коре. Повторная побелка в марте предохраняет яблоню от сильных перепадов температур, отлупных трещин и ожогов.
Лишайники и мхи
Часто на старых деревьях разрастаются лишайники, а в некоторых местностях – мхи. Иногда лишайники растут и на молодых деревцах, затягивая своими покровами точки роста на молодых побегах.
Эти растения являются показателями чистой экологической обстановки и сами по себе не наносят вреда дереву. Но кора, облепленная наростами лишайника, становится рассадником для многих насекомых, их личинок и кладок яиц. Участки коры под слоевищами мха в годы с частыми дождями могут загнить.
Защитные действия: кору яблони надо механически очищать от подобных растений. Если же это затруднительно сделать с помощью перчаток или щётки, можно опрыскать кору 3% раствором медного купороса. Лишняя растительность погибает от обработки, после чего её счищают металлической щёткой.
Гребенщик, трутовик
Гриб прорастает на больных или засыхающих деревьях, вызывая стволовую гниль. От этого яблони медленно засыхают, становясь хрупкими. Грибы имеют разную окраску: желтоватую, серую, бурую.
Их плодовые тела плоские и полукруглые.
Защитные действия: спиливание сучьев, где поселился гриб, обеззараживание спила 3% раствором медного купороса. Обработку 1% раствором бордоской жидкости проводят ранней весной, до отрастания листочков. Это предупреждает разрастание грибов. Непременная процедура – побелка дерева.
Кроме перечисленных неинфекционных заболеваний, могут встречаться болезни физиологического характера: стекловидность, трещины, искривление и измельчание яблок.
Профилактика
Защита посадок яблонь от вредителей и болезней стартует с проведения профилактических работ. Они не отнимают много времени, но приводят сад в порядок. Работы проводят постепенно, весь вегетационный период.
Профилактикой заболевания служат следующие мероприятия:
- посадка надёжных сортов;
- внесение достаточного количества удобрений;
- своевременная санитарная и омолаживающая обрезка;
- залечивание ран различного характера;
- перекопка почвы под яблоней;
- дезинфицирование грунта медьсодержащими препаратами;
- уничтожение сорняков;
- сжигание опавшей листвы;
- побелка;
- установка ловчих поясов;
- обработка яблонь летом от болезней и вредителей.

Активизировать защитные силы растения помогут препараты:
- Циркон;
- Альбит;
- Бутон;
- Эпин-Экстра.
Их применяют для обработки деревьев в летний период:
- по голым веткам распыляют 3% раствор бордоской жидкости от перезимовавших грибков;
- по зелёному конусу опрыскивают 10% карбофосом против насекомых-вредителей;
- по окончании цветения обрабатывают 1% раствором бордоской жидкости от разлетающихся созревших грибковых спор.
Заключение
Заболевание яблонь и их лечение приносит садоводу много неприятностей и хлопот. От заразы обычно очень трудно избавиться, её можно уничтожить только при постоянном и длительном врачевании. А иные болезни не лечатся совсем, их причины появления неясны.
Лучший совет, который можно дать садоводу такой: чем тратить время на лечение, лучше употребить его на профилактику. Работы будет меньше, а результат — гарантированный урожай в здоровом саду.
название, фото описание и лечение
Вредители и инфекции, механические и термические повреждения, неправильный полив и несбалансированный состав почвы создают благоприятные условия для развития разного рода болезней яблонь.
Они могут иметь грибковое, бактериальное и вирусное происхождение. Представленные ниже описания основных из них помогут вовремя распознать проблему и начать борьбу за спасение урожая и деревьев от повреждений. Иногда своевременно начатое лечение помогает предотвратить их полную гибель.
Грибковые заболевания
Споровые возбудители и фитопатогенные микроорганизмы часто зимуют в опавшей листве, трещинах, дуплах, а с приходом весеннего тепла начинают активно размножаться и захватывать здоровые участки деревьев.
Бурая пятнистость (филлостиктоз)
Главный признак поражения – появление на листьях бурых пятен с темно-коричневым ободком и черной точкой по центру. Последние являются спорами грибов-возбудителей. В результате листва преждевременно опадает, деревья становятся ослабленными и менее морозоустойчивыми.
Лечение от филлостиктоза следует начинать осенью: избавляться от опавших листьев, поскольку грибки сохраняются даже на них, и перекапывать приствольные круги.
Для предотвращения болезни – опрыскивать до и после цветения бордосской жидкостью, раствором йода или препаратами Зато, Терсел. Последние два считаются особенно эффективными, поскольку действуют даже при пониженных температурах.
Млечный блеск
При заражении млечным блеском страдает кора яблонь (как молодых, так и зрелых). Провоцируют его развитие нарушение правил полива, дефицит полезных веществ и обмерзание зимой. Среди главных проявлений: быстро распространяющийся по всем веткам бело-серый (иногда с перламутром) блеск, который провоцирует впоследствии осыпание листьев и плодов. На более поздних стадиях начинается отмирание сначала крупных веток, а затем и всего дерева.
Вылечить яблоню от болезни можно с помощью срезания пораженных участков (с захватом 4-5 см здоровых тканей) с последующим их сжиганием и промазыванием срезов раствором медного купороса и садовым варом. Дополнительно нужно покрыть ствол известковым раствором и внести комплексные минеральные удобрения.
Монилиоз
Возбудители – два вида грибов. При одном из них становятся бурыми, а затем усыхают листья, цветки, завязи и плодовые веточки. При втором – на плодах образуется гниль в виде характерных концентрических кругов, с отчетливо виднеющимися спорами, со временем они полностью чернеют и засыхают. Если их не удалять с веток, они станут источником постоянной инфекции: споры будут разноситься ветром, дождем, насекомыми, поэтому может пострадать весь урожай. Наиболее чувствительны к заражению молодые саженцы в 1-2-й год после высадки. На зрелых деревьях могут пострадать молодые, на защищенные корой, побеги.
Для борьбы с монилиозом нужно удалять засохшие плоды и ветки, а после полного сбора урожая – опрыскать яблоню медным купоросом (40 г/10 л воды). Для профилактики болезни помогут опрыскивания до и после цветения медесодержащими препаратами. При сильных поражениях нужно провести третье, дополнительное опрыскивание спустя 10-12 дней после второго.
Мучнистая роса
Белый мучнистый налет на почках, листьях, молодых ветках и цветах яблони – признак поражения мучнистой росой.
Постепенно он становится бурого цвета, появляются небольшие темные пятна, листва скручивается в трубочки, а цветы быстро засыхают и урожая ждать не приходится. Чаще всего подобные явления встречаются в регионах с теплым климатом, поскольку при морозных зимах (от -25°С и ниже) значительно сокращается количество перезимовавших спор грибов-возбудителей.
Хороший способ лечения при обнаружении заболевания на ранней стадии – троекратное опрыскивание раствором коллоидной серы (20 г/ 10 л воды). Для профилактики требуется обработка яблонь до и после цветения препаратами типа Скор, Топаз, Раек и др.
Наиболее чувствительными к мучнистой росе считаются сорта яблок Айдаред, Джонаголд, Женева, Лодель, Пауларед и Чемпион. Для них особенно важно проводить профилактические обработки, чтобы не допустить эпидемии на участке и оградить от заражения другие, менее восприимчивые к болезни сорта.
Парша
Первый признак парши – оливково-бурые бархатистые пятна на листьях (зачастую на верхней стороне).
При поражении до начала лета они будут крупные, при более поздних сроках и повторных заражениях – небольшие и малозаметные. Со временем появляется ржавчина, листья сохнут и опадают. На яблоках также появляются темно-серые болячки и трещины, они опадают и теряют товарный вид. Развитию парши будет способствовать влажная холодная погода весной и обилие летних дождей.
В борьбе с болезнью помогает один из следующих препаратов: бордосская жидкость, ХОМ, Скор, Агро-Пик. Обработки нужно проводить, начиная с фазы зеленого конуса, а при необходимости и летом. Эффективным также будет использование биофугницидов (Фитоспорин, Хорус, Гамаир). Значительно снизить риск заражения в будущем сезоне поможет опрыскивание раствором мочевины (5%) незадолго до листопада, а также сбор всех упавших плодов и перекапывание приствольного круга.
Ржавчина
Название болезни точно соответствует описанию: на верхней поверхности листьев появляются «ржавые» подушковидные пятна с черными вкраплениями грибных спор.
Со временем подобные явления распространяются на кору, побеги, плоды яблонь. В результате молодые ветки зачастую погибают, кора растрескивается, а плоды опадают недозревшими.
Для профилактики и лечения нужно сделать двукратное опрыскивание 1%-ной бордосской жидкостью – до цветения и после. Также можно использовать препараты-аналоги – ХОМ, Абига-Пик, Чемпион. При поражении ствола нужно удалить больные участки и замазать участок садовым варом.
Предупредить появление ржавчины помогает регулярная обрезка, перекопка приствольных кругов, внесение фосфорно-калийных удобрений и побелка стволов известью. Чтобы минимизировать риск заражения, не следует высаживать яблони рядом с казацким можжевельником, где зимует и размножается гриб-возбудитель ржавчины.
Цитоспороз
Поражению цитоспорозом подвержены как молодые, так и старые яблони, пострадавшие от ожогов или обморожений. Болезнь повреждает кору: на стволе и ветках появляются язвы, иногда наблюдается камедетечение. Они стремительно приобретают коричнево-красный оттенок и проникают вглубь, из-за чего кора или отдельные ветви могут отмирать.
Борьбу с цитоспорозом следует начинать весной в период набухания почек: деревья опрыскивают раствором ХОМа (40 г/ 10 л воды). Поврежденные фрагменты следует срезать и смазать эти участки сначала медным купоросом (40 г/10 л), затем – смесь глины и коровяка.
Черный рак
Начальное проявление черного рака заключается в появлении такого же цвета точек на коре, расположенных кругами, которые быстро растут в размерах. Кора чернеет и становится бугристой. Позднее на ее поверхности образуются трещины, из-за которых она отслаивается и выворачивается наизнанку. Кроме того, на листьях появляются черные пятна, а на плодах – гниль. Само дерево, как правило, гибнет через 3-4 года. Также существует вероятность потерять весь сад. При обнаружении подобных симптомов нужно срезать острым ножом все пораженные участки до здоровой древесины и сжечь их, а срезы обработать медным купоросом и покрыть садовым варом.
Бактериальные инфекции
Подобных заболеваний яблонь не очень много.
Они обычно называются бактериозами и могут передаваться через зараженный посадочный материал или переноситься птицами. Среди наиболее распространенных – бактериальные ожоги, рак коры и корней.
Бактериальный ожог
Болезнь, вызванная бактериями рода Эрвиния, быстро поражает надземные органы, начиная с верхушки: цветы становятся коричнево-черными (кажутся сгоревшими), листва вянет и скручивается, ветки высыхают, ствол покрывается мокнущими язвами, которые затем подсыхают и образуют заметные утолщения на границе здоровых и больных тканей. Способствуют распространению инфекции теплые дожди и жаркая погода.
По осени нужно удалить зараженные ветви, захватывая на 20 см здоровые участки. При этом садовый инструмент и срезы нужно обработать медным купоросом (10% и 1% соответственно). При сильных поражениях дерево остается только выкорчевать и сжечь. Повысить устойчивость к бактериальному ожогу поможет двукратное опрыскивание препаратами меди.
Бактериальный рак коры (некроз)
Черно-коричневые пятна на листьях, мягкие светлые волдыри на коре, которые постепенно растрескиваются и лопаются, вдавленные пятна с фиолетово-вишневой каймой – это признаки бактериального рака коры.
К следующему сезону края разрывов будут задираться и шелушиться. У пораженного дерева значительно снижается устойчивость к неблагоприятным факторам окружающей среды (в т. ч. к морозам).
Инфекция распространяется ветром, насекомыми, через садовые инструменты и зараженный посадочный материал. Для борьбы с ней нужно удалить зараженные побеги и защитить места срезов садовой мазью. Помогают также опрыскивания фунгицидами (Чемпион, Фунгуран, Нордокс) на стадиях почкования, цветения и листопада.
Бактериальный корневой рак
Заражение болезнью происходит через трещины, спилы, срезы на яблоне, куда проникает бактерия-возбудитель и поражает корни. На них формируются многочисленные наросты, в которых активизируются процессы гниения с выделением большого количества бактерий, поражающих здоровые ткани корней и надземных органов, в результате чего дерево не может нормально функционировать и часто гибнет.
От бактериального корневого рака можно избавиться только на ранних стадиях, если продезинфицировать почву слабым раствором формалина (1г/100 л воды). Полив ним следует проводить в теплые осенние дни из расчета 20 л раствора на 1 м². Еще один вариант – хлорная известь из расчета 200 г на 1 м² участка, после внесения которой землю нужно разровнять граблями.
Вирусные болезни
Вредоносные вирусы, которые разносятся вредителями, водой, ветром, не менее опасны для яблонь, чем грибковые и бактериальные возбудители болезней. Они значительно угнетают рост деревьев и могут приводить к их гибели.
Звездчатость плодов
В результате заражения звездчатостью существенно уменьшается вес плодов и урожайность в целом. Заболевание проявляется на незрелых яблоках в виде бесформенных пятен, в центре которых видны трещины звездчатой формы, углубляющиеся по мере созревания плодов. Кожура в этих местах приобретает темно-коричневый окрас, что напоминает заражение паршой. При дождливой погоде возможно присоединение бактериальной инфекции. Кроме того, заметно светлеют листья на верхних ветках и замедляется рост молодых побегов. Эффективных способов лечения пока не существует, поэтому при выявлении главное – не допустить распространения на близстоящие деревья. Лучший вариант для этого – выкорчевать и сжечь пораженную яблоню.
Метельчатость
В середине лета на яблонях могут появиться так называемые «ведьмины метлы» – пучки тонких вертикальных побегов с мелкими листьями и крупными междоузлиями, что является признаком заражения метельчатостью. Молодые побеги становятся красного оттенка, бутоны формируются поздно, листва преждевременно желтеет и опадает, а плоды получаются безвкусные и мелкие.
Болезнь неизлечима. Единственный вариант – как можно быстрее выкорчевать дерево и сжечь. Предотвратить ее появление можно с помощью регулярных обработок от сосущих вредителей, которые являются переносчиками вируса.
Мозаика
Если первые молодые листочки покрываются пятнами, напоминающими мозаику, это говорит о поражении одноименной болезнью. Они могут быть желто-зеленого или ярко-желтого оттенка. При этом летняя листва имеет обычный окрас, но мельчает в размерах, преждевременно желтеет и опадает. Яблоня в целом выглядит ослабленной, тормозится рост новых побегов, сокращается количество и качество урожая.
Борьба с мозаикой, как и в случае с предыдущими вирусными поражениями, требует выкорчевывания и сжигания деревьев. Профилактикой ее появления будет использование здорового посадочного материала и своевременные обработки против вредителей.
фотографии, видео, описание признаков, лечение деревьев, обработка для профилактики
К числу самых распространенных болезней яблонь относятся черный, бактериальный и европейский рак, цитоспороз и корневая гниль, альтернариоз, туберкуляриоз и ржавчина, парша и мучнистая роса, бурая пятнистость и монилиоз.
Также деревья часто поражаются мхами, лишайниками и всевозможными грибными вирусами. Если знать, как бороться с болезнями яблонь и как правильно проводить профилактические мероприятия, можно оградить свой сад от инфицирования.
Как бороться с лишайниками, мхами и грибами на яблоне
Мхи и лишайники.
Среди лишайников распространены представители родов Cladonia, Hypogymnia, Рarmelia, а среди мхов — Dicranum, Mnium и др. При загущенных посадках, слабой освещенности создаются условия повышенной влажности, которые благоприятны для развития лишайников и мхов. Слоевища лишайников задерживают влагу на поверхности коры, что может вызвать образование морозобоин в суровые зимы. Под слоевищами постоянно перезимовывают многие насекомые-вредители.
Меры борьбы. Для борьбы с этими болезнями яблони необходима постоянная зачистка и удаление слоевищ со стволов и скелетных ветвей и опрыскивание растений осенью раствором железного купороса (300 г/10 л воды).
Гриб гребенщик.
Гриб гребенщик поселяется на ветвях и стволах и вызывает развитие стволовой гнили. В результате ее быстрого распространения яблони постепенно засыхают. Инфекция сохраняется в плодовых телах фиба и в пораженной древесине.
Меры борьбы. Обрезка и сжигание плодовых тел, зачистка древесины, удаление засохших ветвей и деревьев. Для обработки яблони от этой болезни необходима дезинфекция ран и спилов 1%-ым медным купоросом и замазывание масляной краской на олифе. Профилактические опрыскивания деревьев до распускания листьев, чтобы раствор препарата смачивал кору, 1%-ой бордоской смесью или ее заменителями (ХОМ, Абига-Пик).
Сажистые грибы на яблоне.
Возбудители– грибы-сапротрофы Cladosporium elegans и Fumago vegans. На поверхности листьев, побегов, иногда плодов развивается черная сажистая пленка. При распространении сажистых грибов не только теряется декоративность растений, но и наносится вред, так как пленка затрудняет доступ света и воздуха к тканям листа. Сажистые гриба практически всегда развиваются на сладких выделениях тлей и щитовок.
Меры борьбы. Профилактические опрыскивания деревьев весной, сразу после цветения, баковой смесью препаратов: ХОМ или Абига-Пик + фуфанон (40 г + 10 мл/10 л воды). Такая обработка позволит защитить яблони и от комплекса вредителей, в том числе от сосущих, и от распространения грибов-сапротрофов. При летнем распространении сажистых грибов нужно опрыскивать яблони от этой болезни после сбора плодов 1%-ой бордоской смесью или ее заменителями (ХОМ, Абига-Пик).
Далее вы узнаете, как вылечить яблони от раковых болезней.
Раковые болезни яблони: фото, описание и борьба с ними
Обыкновенный, или европейский, рак.
Возбудитель — гриб Neonectria galligena. Признаком этой болезни яблонь является появление на коре удлиненных бурых пятен, которые подсыхают и растрескиваются. Под ними обнажаются язвы с приподнятыми краями. Язвы увеличиваются и углубляются, древесина постепенно отмирает. На стволах выявляется открытая форма рака в виде глубоких язв, на ветвях — чаще закрытая форма, при которой наплывы срастаются, и остается щель. В пораженной древесине по краям язвы развивается спороношение. Споры перезаражают соседние ветви и листья.
Посмотрите на фотографии – при этой болезни листья яблонь становятся хлоротичными, на них появляются некрозные бурые пятна без окаймления, листья засыхают и преждевременно опадают:
На плодах со стороны плодоножки появляются бурые пятна, которые приводят к быстрому загниванию. Инфекция сохраняется в древесине и растительных остатках. Заболевание чаще проявляется на ослабленных яблонях и грушах и в местах морозобоин, механических повреждений коры. Гибель молодых растений наступает через 2-3 года.
Меры борьбы. Прежде чем обрабатывать яблони от этой болезни, необходима своевременная обрезка ветвей с язвами и их сжигание. Отдельные язвы в развилках скелетных ветвей дезинфицируют 1%-ым раствором медного купороса и замазывают масляной краской на натуральной олифе. Чтобы не пришлось прибегать к лечению этой болезни яблонь, необходимы профилактические опрыскивания коры растений до распускания листьев бордоской смесью или ее заменителями (ХОМ, Абига-Пик).
Черный рак.
Возбудитель – гриб Sphaeropsis malorum. При описании этой болезни яблонь стоит отметить, что черный рак часто начинает развиваться в развилках скелетных ветвей. Сначала образуются красновато-бурые пятна, затем они темнеют, на коре появляются черные плодовые тела.
Обратите внимание на фото – при этой болезни кора у яблонь чернеет, становится бугристой и напоминает гусиную кожу, со временем растрескивается и отслаивается пластами:
На листьях и плодах появляются темно-бурые пятна, похожие на черную гниль. Инфекция сохраняется в коре и в растительных остатках. При поражении штамбов болезнь вызывает усыхание деревьев за 1-2 года с момента появления симптомов.
Меры борьбы. Использование здорового посадочного материала. Выпиливание засохших ветвей. Профилактические опрыскивания деревьев, особенно штамбов и скелетных ветвей, 1%-ой бордоской смесью или ее заменителями (ХОМ, Абига-Пик). Своевременное удаление засохших ветвей и деревьев, зачистка пораженной коры, дезинфекция ран, срезов, спилов 1%-ным купоросом и обмазка масляной красной на натуральной олифе.
На этих фото продемонстрированы меры борьбы с раковыми болезнями:
Бактериальный рак или бактериальный некроз коры яблони.
Заболевание напоминается ожог. С весны наблюдается побурение почек и коры ветвей, почернение и усыхание молодых побегов и листьев. На листьях появляются черные пятна, растрескивающиеся по краям листовых пластинок. Пораженная кора набухает, появляются вздутия в виде мягких волдырей, часто образуются вдавленные пятна с фиолетово-вишневой каймой. Древесина веток и штамбов загнивает, появляется резкий кислый запах перебродившего сока, и деревья погибают. Бактериоз обычно начинается с линейного некроза коры и переходит в широкие полосы.
Как видно на фотографии, признаком этой болезни яблонь в хронической форме на ветвях и стволах образуются язвы, из которых выделяется камедь:
Пораженная древесина буреет и отмирает, язвы подсыхают. На срезе в древесине видны каверны, наполненные слизью и камедьными образованиями. Инфекция сохраняется в ветках, бактерии распространяются ветром, насекомыми, инструментом при обрезке и в основном с зараженным посадочным материалом.
Меры борьбы. Использование здорового посадочного материала, удаление и сжигание пораженных ветвей и засохших деревьев.
Далее представлены фотографии и описание таких болезней яблонь, как цитоспороз и туберкуляриоз.
Болезни яблонь цитоспороз и туберкуляриоз: фото и лечение
Цитоспороз, или инфекционное усыхание коры.
Возбудители – грибы Cytospora schulzeri и С. carphosperma — на яблоне, С. Microspora — на яблоне и груше. Заболевание проявляется побурением и отмиранием коры веток, скелетных ветвей и штамбов. На пораженной ткани сформировываются многочисленные выпуклые серо-бурые бугорки. Затем они прорываются. Пораженная кора отсыхает, приобретая мелкобугристый вид от спороношения гриба, мочалится. Гриб вызывает преждевременное усыхание ветвей. Сильно поражаются плодовые деревья при загущенной посадке и при частой обрезке кроны. Распространению инфекции способствует воздействие низких температур, солнечные ожоги, механические повреждения коры. Инфекция сохраняется в пораженных ветках и коре стволов и распространяется с некачественным посадочным материалом.
Меры борьбы. Такие же, как против черного рака яблони.
Здесь вы можете посмотреть фото способов лечения болезней яблонь:
Туберкуляриоз, или усыхание ветвей.
Возбудитель — гриб Tubercularia vulgaris. Заболевание вызывает отмирание коры и луба. Листья и побеги быстро буреют и засыхают. На поверхности коры образуются кирпично-красные подушечки спороношения, со временем они темнеют и подсыхают. Инфекция сохраняется в коре.
Меры борьбы. Такие же, как против обыкновенного рака.
На видео «Болезни яблонь» показано, как бороться с инфекционными и вирусными заболеваниями плодовых деревьев:
Чем обрабатывать яблони от болезни парша
При заболевании паршой на верхней стороне листьев появляются буреющие бархатистые пятна, листья желтеют и преждевременно опадают.
Весной и в начале лета пятна крупные, позднее, мелкие, малозаметные. Споры перезаражают завязи, плоды покрываются пятнами и становятся непригодными к употреблению. При массовом распространении парши снижается качество плодов, декоративность и зимостойкость деревьев. Развитию болезни благоприятствует влажная холодная весна и обилие осадков летом. Гриб поражает только яблоню. Инфекция сохраняется в растительных остатках.
Меры борьбы. Сбор и удаление (возможно компостирование) опавших пораженных листьев. Для защиты яблонь от этой болезни необходимы опрыскивания деревьев, начиная с фазы зеленого конуса и при необходимости в летнее время, учитывая сроки ожидания, одним из препаратов: 1%-ая бордоская смесь, ХОМ, Абига-Пик, скор, раёк. Проще ориентироваться по фазам: до цветения и сразу после цветения.
Ниже вы сможете ознакомиться с фото и описанием болезней яблонь ржавчина и бурая пятнистость.
Защита яблони от болезней ржавчина и бурая пятнистость
Ржавчина яблони.
Возбудитель – гриб Gymnosporangium emelloides, поражает в основном листья. Сверху на них появляются оранжево-красные округлые подушковидные пятна с мелкими черными точками, снизу — оранжевые конусовидные эции, которые со временем буреют. При массовом распространении болезни листья преждевременно желтеют и опадают. Яблоня — промежуточный хозяин. Зимует и развивается гриб на можжевельнике казацком.
Меры борьбы. При опрыскивании яблонь от этой болезни деревья до цветения или сразу после него нужно обработать 1 %-ой бордоской смесью или ее заменителями (ХОМ, Абига-Пик).
Бурая пятнистость листьев яблони.
Возбудители — грибы Phyllosticta mali и Ph. briardi. При поражении первым грибом на листьях появляются крупные угловатые темно-желтые пятна с более светлой серединой и тонким коричневым ободком. При поражении вторым возбудителем пятна на листьях округлые или угловатые, светло-желтого цвета, без окаймления. Со временем сформировываются мелкие точечные черные плодовые тела зимующей стадии. Листья желтеют и преждевременно опадают, что сказывается на вызревании побегов и их морозоустойчивости.
Инфекция сохраняется в пораженные опавших листьев.
Меры борьбы. Опрыскивание деревьев весной до цветения и сразу после его окончания 1%-ной бордоской смесью или ее заменителями (ХОМ, Абига-Пик), сбор и удаление опавших листьев.
Чем опрыскивать яблони от болезни монилиоз
Возбудители монилиоза – грибы Monilia cinerea. f. mali и M. fructigena. Первый возбудитель вызывает ожог, при котором буреют и усыхают цветки, завязи, листья, но при этом долго не опадают. Второй возбудитель вызывает гниль плодов. На гниющей ткани со временем образуются многочисленные серые подушечки спороношения в виде концентрических кругов. Споры распространяются ветром, дождем, насекомыми. Зараженные плоды засыхают и чернеют, но при этом висят на ветках.
Меры борьбы. Сбор падалицы, удаление мумифицированных плодов, обрезка засохших веток. Опрыскивание деревьев весной, до цветения и сразу после цветения 1%-ой бордоской смесью или ее заменителями (ХОМ, Абига-Пик). При сильном распространении монилиального ожога и плодовой гнили проводят третье опрыскивание через 10-12 дней после второго опрыскивания.
Как вылечить яблоню от болезни альтернариоз
Возбудитель альтернариоза – гриб Alternaria tenuis. При этой болезни яблонь на коре дерева, пораженного грибом, во влажную погоду появляется бархатистый налет черного цвета. При обилии осадков листья буреют и преждевременно опадают, а ветки и молодые побеги засыхают. Заболевание проявляется при загущенности посадок на ветвях нижнего яруса. Инфекция сохраняется в коре веток и в растительных остатках.
Меры борьбы. Обрезка пораженных сухих ветвей, дезинфекция срезов и механических повреждений 1%-ым раствором медного купороса и замазывание масляной краской. Сбор и сжигание всех обрезанных пораженных ветвей. Весной проводят профилактические опрыскивания растений 1%-ой бордоской смесью или ее заменителями. При необходимости опрыскивания повторяют осенью.
На этих фотографиях показаны методы лечения болезней яблонь:
Как бороться с болезнью яблонь корневая гниль
Возбудитель корневой гнили – гриб Armillaria mellea, вызывает гниль древесины. Опенок растет на корнях живых деревьях, а также на пнях. Под корой гриб образует сетку черных плоских шнуров – ризоморф, при помощи которых распространяется. На грибнице сформировываются многочисленные плодовые тела. Гриб сохраняется в древесине, в почве, в пораженных растительных остатках, проникает в корневую систему деревьев и кустарников, вызывая отмирание корней и стволов.
Меры борьбы. Профилактические опрыскивания стволов и ветвей 1%-ой бордоской смесью или ее заменителями (ХОМ, Абига-Пик). Удаление и сжигание засохших деревьев вместе с корнями. При первых признаках заражения почву под деревьями проливают раствором медьсодержащего препарата.
Опрыскивание яблонь от болезни мучнистая роса
Возбудитель мучнистой росы – гриб Podosphaera leucotricha. При этой болезни садовых яблонь на соцветиях и листьях уже в мае могут появляться пятна серовато-белого налета, споры которого перезаражают отрастающие листья и побеги. Листья скручиваются и засыхают, побеги деформируются. Плоды не образуются, а при более позднем поражении на плодах появляется ржавая сетка пробковой ткани. Мучнистая роса проявляется чаще в загущенных садах или из-за слабой освещенности насаждений. Заболевание распространено на яблоне, на груше встречается в слабой степени. Инфекция сохраняется в пораженных листьях и коре, в почках побегов.
Меры борьбы. Своевременное удаление сильно пораженных побегов у молодых деревьев, сбор опавших листьев и их компостирование. Профилактические опрыскивания деревьев при появлении первых симптомов мучнистой росы одним из препаратов: скор, раёк, тиовит, Джет. При необходимости опрыскивания повторяют в летнее время, учитывая сроки ожидания.
Посмотрите видео «Болезни яблонь и их лечение», чтобы лучше понять, как бороться с этими недугами:
Ржавчина/ бурая пятнистость яблони (препараты и схемы обработок)
Ржавчина, бурая пятнистость/ филлостиктоз яблони и др. семечковых культур – относятся к микробиологическим (паразитарным) заболеваниям растений и требуют не медленного принятия соответствующих мер борьбы и профилактики.
В материале дано описание внешних признаков и причин заболевания, рассмотрены факторы риска и способы профилактической защиты и борьбы. Даны рекомендации схемам обработок и подбору препаратов.
Описание (признаки поражения и развитие)
Пик развития заболевания приходится на последний месяц весны или первый месяц лета, когда на деревьях стремительно распускаются и развиваются листья. К середине лета заметно сильное прогрессирование болезни. В северных и северо-западных регионах появление симптомов отмечается значительно позднее.
На листьях появляются тёмно-желтые, бурые, темно-бурые или сероватые пятна, округлые или угловатые. Сначала на поверхности листовой пластины появляются мелкие желто-зеленые пятнышки, затем они охватывают весь лист и темнеют, обретая насыщенный рыжий цвет. Размер пятен — диаметром от 5 мм до 8 мм.
На них видны мелкие чёрные точки – пикниды грибов. Пикниды — характерный симптом заболевания. Черные пикниды с бесцветными одноклеточными пикноспорами, отличаются по форме и размерам в зависимости от вида гриба.
Поражённая ткань отмирает, эпидермис отслаивается в виде тонкой прозрачной пленки. Грибок поражает не только листья, но и побеги, цветочные почки, завязи. На запущенной стадии инфекция распространяется на кору ствола.
Характер поражения листьев бурой пятнистостью в период разрастания пятен и их побурения очень напоминает ожоги, поэтому их появление принимают за повреждение пестицидами в повышенных концентрациях. Однако причина заболевания иная.
Причины ржавчины/ бурой пятнистости яблони и груши
Причина заболевания – грибковая инфекция. Возбудитель – паразитирующий несовершенный грибок рода Phyllosticta. На яблоне чаще всего выделяют – Phyllosticta mali Pr. et Del., Phyllosticta briardi Sacc. На груше и яблони – Phyllosticta pirina Sacc. На айве – Phyllosticta cedoniae Sacc.
Бурая пятнистость (филлостиктоз) яблониОни образуют пятнистости, характерные для определенного вида гриба:
- Phyllosticta mali Pr. et Del – поражает листья яблони, образует мелкие округлые пятна, сначала буроватые, позднее серые с каймой темно-коричневого цвета.;
- Phyllosticta briardi Sacc. – поражает листья яблони, образует светло-желтые округлые или несколько угловатые пятна, без каймы, диаметром до 5 мм.;
- Phyllosticta pirina Sacc. – поражает листья груши, реже отмечается на яблоне, образует округлой или неправильной формы пятна, сливающиеся между собой.;
- Phyllosticta cedoniae Sacc. – поражает листья айвы, образует округлые или неправильной формы коричневые пятна с каймой темно-бурого цвета.
Вредоносность (факторы риска)
Ржавчина / бурая пятнистость яблони и др. семечковых плодовых культур приводит к преждевременному усыханию листьев. Поражение ассимиляционного аппарата к концу лета может достигать от 30% до 100%. При интенсивном развитии заболевания наблюдается опадение до 20% листвы. Это ведет к ослаблению зимостойкости и снижению продуктивности деревьев. При игнорировании мер защиты дерево может погибнуть.
Локация (распространение) болезни
Ржавчина / бурая пятнистость – широко распространенная болезнь семечковых плодовых культур. Наибольшую опасность заболевание представляет для южных зон плодоводства. На севере и северо-западе России и в странах Прибалтики присутствие патогена регистрируется постоянно, но сильно он не развивается.
Ржавчина на листьях яблони и грушиРжавчина / бурая пятнистость яблони, груши и др. распространена широко практически во всех районах садоводства. Однако заболевание проявляется периодически, и в основном очагами.
Факторы, способствующие развитию болезни
Можно выделить несколько причин появления и развития болезни:
а) Загущенные и посадки. Растения на заброшенных и поросших сорняками участках также часто «ржавеют». Патогены, вызывающие заболевание, зимуют в форме пикнид на опавших листьях.
б) Благоприятные климатические условия – это повышенная влажность при высоких температурах. Развитию инфекции способствует теплая, дождливая погода. В условиях повышенной влажности пикниды набухают и выпускают наружу пикноспоры, которые покидают место созревания слизистой массой лентообразной, извивающейся формы. Отдельные пикноспоры разносятся ветром, дождем и насекомыми, попадают на листья, прорастают и формируют новые участки заражения.
в) Высадка яблонь и др. семечковых культур рядом с хвойниками. В частности, с можжевельником — это растение является носителем грибковой инфекции, и соответственно её переносчиком. Споры грибка при помощи ветра переносятся на плодовые культуры
г) Часто болезнь развивается на фоне некротических повреждений, вызванных различными причинами, в числе которых отмечается неправильное применение пестицидов.
Бурая пятнистость на листьях плодовых семечковых культурСпособы профилактической защиты и борьбы
Выделяют агротехнические и химические способы защиты.
а) Агротехнические способы защиты от ржавчины
Для профилактической защиты и минимизации распространения заражения следует:
- использовать здоровый посадочный материал;
- своевременно удалять погибшие деревья;
- своевременно убирать и уничтожать опавшую листву;
- не загущать посадки, проводить своевременную обрезку ветвей;
- грамотно вносить минеральные удобрения;
- высаживать растения вдали от хвойных культур и пр.
б) Химические способы защиты от ржавчины/ бурой пятнистости яблони
Химические способы защиты – это опрыскивание растений в течение вегетации фунгицидами. Для профилактики и защиты от ржавчины используют системно-контактные фунгициды группы стробилуринов и триазолов, а также препараты на основе меди и серы.
Рекомендуемые препараты от ржавчины/ бурой пятнистости
а) НА ОСНОВЕ МЕДИ. Традиционным медьсодержащим средством является бордоская жидкость (1%). Используют и другие современные препараты («Блу-бордо», «Абига-Пик», «Ордан», «ХОМ«, «Оксихом», «Купроксат», «Купролюкс» и др.). Обработки этими препаратами могут быть профилактическими и лечебными.
б) НА ОСНОВЕ СЕРЫ. (препарат «Тиовит Джет» — аналог коллоидной серы). Эффект действия наступает при контакте с инфекцией. Обрабатывать можно на любом этапе вегетации, кроме периода цветения.
в) СИСТЕМНО — КОНТАКТНЫЕ ФУНГИЦИДЫ. Это главные помощники в борьбе со ржавчиной. Кроме этого Эти препараты дают положительный эффект в лечении сопутствующих заболеваний яблони — парши и мучнистой росы.
Рекомендуемые препараты: «Строби», «Топаз», «Полирам», «Цинеба», «Вектра», «Зато», «Медея», «Терсел» и др. Для каждого конкретного препарата регламенты работ (дозировки, сроки ожидания, кратность обработок) должны быть четко соблюдены согласно инструкциям по применению.
г) БИОПРЕПАРАТЫ. Использование биопрепаратов для защиты растений от вредителей и болезней — современный тренд растениеводства. Опрыскивание можно проводить на любом этапе роста и развития — вплоть до сбора урожая.
Рекомендуемые препараты: «Алирин-Б», «Триходермин», «Гаупсин», «Гамаир», «Планриз», «ФитоДоктор», и конечно лидер в этой сфере — «Фитоспорин-М». Это универсальные препараты, обеспечивающие защиту от комплекса грибковых инфекций, а, к примеру, бактерицид «Гамаир» успешно подавляет возбудителей бактериальных и грибных заболеваний.
Схема обработки яблони от ржавчины/ бурой пятнистости
Используется ряд схем обработки фунгицидами. Обработки проводят в три этапа – до или во время распускания почек, после цветения и в период плодоношения. На 2-м и 3-ем этапах допускаются многократные обработки, в зависимости от характера и объема повреждений. Не следует проводить обработки в жаркую погоду, т.к. деревья могут получить ожоги.
Приведу схему обработки, которую лично применяю в своем саду:
а) ПЕРВАЯ профилактическая обработка проводится в начале периода вегетации — крону опрыскивают бордоской жидкостью (1 или 2%).
б) ВТОРАЯ обработка- в фазу бутонизации и после того, как дерево отцветет, обрабатывают бордоской жидкостью, но в меньшей концентрации (1%), или другими медьсодержащими препаратами — «ХОМ», «Ордан», «Оксихом», «Купролюкс», «Абига-Пик». Для достижения желаемого лечебного эффекта некоторые садоводы проводят еще одно контрольное орошение через 7-14 дней теми же медьсодержащими препаратами, или препаратами на основе серы.
в) ФИНАЛЬНАЯ (основная, регулярная) обработка проводится в период, когда яблоки наливаются. Эта обработка может быть профилактической, или когда замечены признаки болезни. Самый распространенный фунгицид для этих обработок «Топаз». Причем, знаю, что «Топаз» можно использовать трижды, на всех этапах — на этапе распускания вегетативных почек, после цветения и в период плодоношения. Для этих обработок используются и др. фунгициды, например, «Цинеб», «Байлетон» или «Скор». Обработки желательно проводить, чередуя фунгициды из разных химических групп и с различными действующими веществами.
В качестве заключения
Ржавчина/ бурая пятнистость листьев яблони и др. семечковых культур – болезнь, которую можно предотвратить и обезвредить. Теперь вы знакомы как продиагностировать болезнь и знаете что предпринять.
Что важно? Да всё просто — важно вовремя проводить профилактические обработки (особенно важна ранневесенняя), грамотно вносить удобрения и ухаживать за садом. Тогда риск заражения грибковой инфекцией практически будет сведен к нулю.
Вредители и болезни слив
ПИЛА СЛИВА
На рисунке выше показан ущерб, нанесенный сливы сливового пилильщика ( Hoplocampa flava ). Со стороны слива выглядит нормально, может быть небольшая коричневая отметина на коже, но не более того. Но внутри слива совершенно несъедобный. Вы также можете заметить одну или две маленькие затвердевшие капли. смолы на плодах, которые являются ответом дерева на нападение.
Весной пилильщик вылезает из земли и откладывает яйца на цветках слив.Когда сливы развиваются маленькие гусеницы пробираются в центр сливы и питаться им по мере развития сливы.
Сливовый пилильщик трудно контролировать органическими методами, единственный доступность — это ловушка феромонов, которая помогает контролировать болезнь.
Ищите бесплатную коричневую отметку на фруктах и когда они формируются. сорвите плоды и сожгите их, это поможет в борьбе с болезнью в следующем году.Сжечь любые упавшие фрукты, которые нельзя использовать.
Химическое вещество дельтаметрин, распыляемое при опадании цветка. обязательно поможет контролировать сливовый пилильщик.
Еще один эффективный метод борьбы с этим вредителем — измельчение и переворачивание верхние 8 см почвы с помощью шпателя вокруг дерева в феврале-марте. Это выведет жуков на поверхность, и птицы их съедят.
СЛИВОЧНЫЙ ЛИСТ
Это часто называют вирусом курчавости листьев сливы или болезнью курчавости листьев сливы, оба вводят в заблуждение.Нет такого вируса или болезни, завиток листья вызваны каким-то другим фактором. В подавляющем большинстве случаев это тля, из-за которой листья скручиваются. Часто эти тли называются листовыми тлями.
Чтобы проверить наличие тли, расправьте листья и поищите признаки тли. если ты ничего не видно, посмотрите в увеличительное стекло или сделайте снимок крупным планом и расширить его. Часто тля не видна невооруженным глазом.
Важно правильно диагностировать тлю, потому что, если вы предполагаете, что это вируса, болезни или грибка, тогда вы вполне можете обработать фунгицид или другой спрей, который не убьет тлю.
APHIDS
Сливы часто поражаются тлей, и первые признаки — молодые листья скручиваются вверх, это часто называют Plum Leaf Curl . Обычно они не обесцвечиваются, а просто завиваются. если ты разверните лист, внутри будет видна тля — мелкая зеленая, белая или светлая коричневые насекомые. Сами по себе они, вероятно, не причинят слишком большого ущерба, но часто они выделяют липкий сок, который привлекает нежелательные болезни.
Тля на листе черной смородины
Мы написали целую страницу по выявлению и лечению тлей и ее можно найти здесь .Следуй за этим совет и почти наверняка ваше сливовое дерево переживет нападение с нет плохих побочных эффектов. На сливовое дерево нападают два конкретных типа тли. Листовая тля и мучнисто-сливовая тля. К обоим относятся точно так же так же, как и другие тли. Завиток сливовых листьев, как правило, атакует с апреля по июнь. тогда как мучнистая сливовая тля нападает с июля по начало сентября.
РОЗОВЫЕ МАГАЗИНЫ ВНУТРИ ПЛЮСОВ
Это вызвано гусеницей моли сливы ( Grapholita
funebrana ) и производит плоды
совершенно несъедобный.Выявить этого вредителя особенно сложно, если только вы не
разрезать сливу или, что еще хуже, укусить пораженную сливу. Вы увидите
розоватая маленькая гусеница / личинка внутри с коричневым веществом в отверстии
сделал внутри сливу — это ее экскременты!
Другие признаки — засохшие капли жевательной резинки, образующиеся возле входного отверстия, преждевременное
падение фруктов и изменение цвета слив.Могут помочь химические спреи (один из наиболее распространенных — Resolva Bug Killer), но нет ничего, что могло бы убедить меня распылить химикаты вместо слив, а затем съесть их.Другая проблема с химическим спреи вроде Resolva убивают насекомых-опылителей. Альтернатива — сливовая моль феромоновая ловушка, привлекающая самцов моли. Затем бабочки прилипают к ловушка, таким образом уменьшая популяцию самцов моли. Если вы попробуете этот метод точно следуйте инструкциям для достижения наилучшего эффекта.
Сливы Царь и Виктория особенно уязвимы для нападение сливовой мотыльки, другие сорта — в меньшей степени. Жизненный цикл этого вредителя начинается в мае, когда самки бабочек откладывают яйца на нижней стороне растущих слив.В яйца вылупляются, а затем зарываются в сливу и питаются ею. Когда полностью развит гусеница выходит из сливы и строит себе небольшой кокон где он окукливается (превращается) в полностью взрослую моль. Любимые места для делать это под трещинами в коре или на почве под деревом.
ГОЛУБЯ
Голуби могут стать настоящей проблемой для слив (и вишни),
они сначала идут за листьями и разрывают их на части. Затем они начинают повреждать
новая веточка похожа на ветки, возможно, просто из-за веса
птицы садятся на них, хотя некоторые считают, что голуби клюют их.В любом случае результат один и тот же, листья эффективно уничтожаются и
серьезное повреждение вновь отрастающих стеблей.Повреждение обычно происходит в период с апреля по июнь, и деревья не могут развить плоды в этом году. Нет единого мнения относительно того, почему именно голуби делают этот. Предотвращение повреждений в некоторой степени зависит от размера вашего сливового дерева. Маленькие сливовые деревья можно защитить сеткой, которую просто накинуть на дерево, и это хорошо работает. Фруктовые клетки — еще одно постоянное решение, которое предотвращает 100% повреждений.
Для больших фруктовых деревьев, где их нельзя окружать физический барьер, варианты более ограничены. Методы, которые сработали в некоторые случаи включают перечисленные ниже:
- Повесьте старые компакт-диски на ветках, чтобы отпугнуть птиц
- Вырежьте дно полиэтиленовых пакетов и свободно привяжите к веткам —
может быть непривлекательным, но кажется, что это самый удачный способ напугать
голуби. Сумки двигаются на ветру
- Пластиковая модель хищных птиц, привязанных высоко на дереве и перемещенных
иногда.Их можно купить в Интернете
Один метод, который оказался безуспешным, — это попытаться привлечь голубей на другие участки сада / участка с кормом для птиц. Какие Затем случается, что голубей привлекает больше, они едят птичий корм и затем обратите их внимание на дерево.
КОРИЧНЕВАЯ ГОРНИЦА СЛИВ
Симптомы коричневой гнили сливы вряд ли можно принять за какие-либо другое заболевание. Кожа пораженных слив будет серая, небольшая выпуклость. неровности на нем, и если разрезать сливу, мякоть обесцветится и гниение там, где больше всего неровностей.Если оставить, слива сморщится полностью. На рисунке ниже показана слива, пораженная коричневой гнилью на относительно ранняя стадия.
Насекомые, птицы и растрескивание фруктов из-за сильного дождя, все повреждения плоды, позволяющие этому грибку проникнуть. После заражения слива может заразить и другие ближайшие плоды, и очень быстро все дерево может заразиться. Наибольшему риску подвержены сливы, плодоносящие очень близко. вместе (сливы Виктория особенно склонны к коричневой гнили). для садовода-любителя нет химических спреев, но если вы будете следовать план действий ниже, это заболевание можно искоренить:
- Как только вы заметите пораженные сливы, удалите их и уничтожьте.
- Удалите и используйте опавшие сливы, не позволяйте им оставаться на
земля.
- Собирайте фрукты, как только они созреют, не позволяйте им перезреть на
дерево.
- Если ваше сливовое дерево очень высокое с высокими плодами, вы не можете
дойди, тогда у тебя проблема. С деревьями такого размера плоды сливы
выше нельзя собирать урожай, и это основная цель коричневой гнили.
Купите сучкорез с длинной ручкой и нарежьте самые высокие фрукты
несущие ответвления.Поздняя весна / начало лета — идеальное время для занятий
этот.
- Прорежьте плоды сливы, как рекомендовано на на этой странице . Слишком большое количество фруктов заставляет их тереться, позволяя грибкам, таким как коричневая гниль чтобы попасть внутрь, это также препятствует хорошей циркуляции воздуха.
См. Также вопрос в конце этой страницы о влиянии необработанная коричневая гниль в последующие годы.
ЗИМНИЙ МАТЬ
Признаки, на которые следует обратить внимание — маленькие зеленые гусеницы на листьях, бутонах. которые не развиваются и остаются с дырками.Этот вредитель — зимняя моль, обычно проявляющаяся в конце марта — мае. Первым признаком будут крошечные гусеницы на плодовых и листовых почках и вокруг них. Они могут плести шелковые нити и свисать с веток дерева. Затем они превращаются в более крупных гусениц и поедают листья, почки и почти все части листвы.
Подробнее читайте на нашей странице Winter Moth .
НАСЕКОМЫЕ МАСШТАБЫ
Есть много видов щитовок, которые нападают на различные растения. но одна, в частности, может быть проблема со сливовыми деревьями, она называется Чешуя Lecanium.На картинке ниже показано, насколько страшно выглядит этот вредитель. но, хотя и серьезно, если оставить его наедине с собой, это не невозможно контроль. В зрелом возрасте они выглядят как ростки размером с горошину, которые на стеблях имеют пурпурно-коричневый цвет. и молодые ветки.
Изображение чешуи Lecanium на сливовом дереве
(нажмите для увеличения)
Во-первых, что это такое? На картинке выше вы видите шкалу. насекомое, которое питается соком веточки, ветки или листа. Их жизненный цикл начинается, когда чешуя перезимует и затем откладывает яйца примерно в мае — 200 или так яйца, которые находятся под телом родителей.В мае-середине июля яйца вылупиться и уползти к новым частям дерева. Это этап, на котором пестициды могут быть эффективны, когда насекомые передвигаются. Когда насекомые находят подходящее положение, зажимают челюстями кору дерева и начать питаться соком дерева, не двигаясь снова.
Если вы можете определить период в мае / июне, когда молодые щитовки находятся в движении, опрыскивание инсектицидом убьет их. Спросите у вас садовый центр для соответствующего спрея.В общем, спреи подходят для уничтожения тлей убивает также движущихся щитовок.
Если вы пропустите этот этап их жизненного цикла, то промойте зимой растительным маслом лечение (снова спросите в вашем местном садовом центре) с декабря по январь эффективно задушит многих зимующих насекомых.
Самый простой способ, если размер вашего дерева — управляемый, — это вручную удалите щитовку примерно в мае, когда они хорошо видны, но еще не высидели яйца.Если вы брезгливо убираете их с помощью ваши пальцы используйте зубную щетку и немного разбавленного жидкости для мытья посуды, чтобы почистить щетку их прочь. Затем осторожно распылите струю из шланга, чтобы удалить все следы их.
СЛИВНЫЙ КАРМАН
Относительно неизвестные в садоводстве сливы, выращиваемые в Великобритании, Слива. Карман становится все более распространенным. Симптомы довольно необычные и трудно спутать с другими вредителями или болезнями. Молодые плоды начинают кажутся длиннее, чем обычно, и немного больше, это обычно становится видимым примерно в середине июня.Следующие симптомы — белые пятна на коже пораженные сливы, это образование грибка. Вскоре сливы начнут увядать и умереть. Обычно поражается около 50% слив.
Плоды сливы, пораженные Plum Pocket
Изображение вверху и внизу любезно предоставлено читателем GardenFocused Уолтером. Совершенно очевидно, что он лучший фотограф, чем я! Картинка выше справа показаны молодые плоды, развивающиеся типично вытянутой формы.Левая слива более развита и явно страдает от сливы. Карман.
Plum Pocket — фруктовые косточки не образовались
Если фрукты разрезать на любом этапе, не будет найдено ни одного камня, только пустой «карман» из белой плоти, что хорошо видно на картинке выше. По мере увядания сливы становятся коричневыми и опадают. Заболевание вызывается грибком Taphrina pruni . и поражает сливы и дамсон.
Жизненный цикл сливового кармана
Споры грибов распространяются по воздуху и воде из ближайшего окружения. пораженные деревья. Чаще встречается на дикой сливе и дамсоне, поэтому если у вас есть поблизости, внимательно осмотрите их на предмет признаков инфекции. Ранней весной споры переносятся по воздуху, приземляются на ваше дерево и оседают в нем. кора и вновь образующиеся почки ветвей. Там они остаются, не нанося ущерба, до следующей весны. Затем они размножаются и начинают атаковать плодовые почки и молодые плоды и вызывают указанные выше повреждения.
УХОД ЗА СЛИВОЙ КАРМАН
Споры грибов распространяются по воздуху и воде из ближайшего окружения.
зараженные деревья, а также от самого пораженного дерева. Как только фрукты
изначально пострадали, нет возможности спасти их в этом году. Лечение
направлены на ограничение распространения спор и одновременное опрыскивание
дерево до образования плодовых почек ранней весной.
Первый план действий удалить и сжечь все пораженные фрукты, включая упавшие наземь.Присмотритесь к дереву, и если заметите что-то необычное, толстые грозди веток, растущих с веток, обрезайте их, потому что вероятность того, что они инфицированы. В рамках обычного процесса обрезки удалите любые веточки и ветки, которые выглядят нездоровыми.
Фунгицид, распыленный на дерево, также очень сильно ограничивает урон. значительно. Лучшее, что мы знаем о Plum Pocket, — это Westland Plant. Rescue Fungus Concentrate, активный ингредиент — дифеноконазол.Спрей дерево один раз в ноябре, а затем снова в марте.
Фунгицид меди Bordeaux Mixture ранее рекомендовался как спрей для предотвращения Plum Pocket. Однако сейчас (или скоро будет) снята с продажи в Великобритании. В настоящее время нет альтернатив, которые научно доказано, что они почти так же эффективны, как Бордо Смесь
Предлагаются различные альтернативы, например раствор аспирина или молоко, но ни один из них не имеет никакого эффекта.
БЕЛЫЙ ПОРОШОК НА ЛИСТЬЯХ СЛИВЫ
Сливовые деревья часто страдают грибковым заболеванием POWDERY MILDEW . Порошок, который вы видите на листьях, — это споры грибка. У нас есть страница, посвященная определению и лечению мучнистой росы, которая можно найти здесь. Что касается сливы деревья обеспокоены, проблема чаще всего вызвана плохим воздухом циркуляция особенно в центре дерева. Хотя сливы выдерживает нечастую обрезку лучше, чем большинство других плодовых деревьев, этот гриб часто встречается в местах скопления листвы и ветвей.
Там, где болезнь продолжает прогрессировать, вторичные инфекции и вредители могут атаковать ослабленное дерево. В частности, тля (используйте увеличительное стекло, чтобы осмотрите листья) привлекают ослабленные деревья, и они могут вызвать плесень местами липнет.
БОЛЕЗНЬ СЕРЕБРЯНОГО ЛИСТА
Чаще всего встречается у сливы, он также может поражать другие деревья. Обычно замечают два симптома. Первый — серебряный блеск некоторым, но не всем, листьям.Второй симптом, который вы можете заметить: виден только при обрезке веток шириной 3 см или более. Вполне может быть коричневая морилка на дереве.
Прочтите нашу подробную статью, чтобы точно определить Болезнь серебряного листа , причины и как лечить это.
ЛИСТЬЯМ МНОГО ОТВЕРСТИЙ
Наиболее вероятной причиной этой проблемы является отверстие для выстрела (также известное как Coryneum Blight), и этот раздел посвящен этой болезни. Подобные отверстия также могут быть вызванный Canker (повреждение коры также будет явно присутствовать) и Сверло для выстрела (на стволе и стволе есть отверстия, но нет уходит).
Самый очевидный симптом — это появление большого количества дырок в листья. Первоначально это коричневые круги отмирающих или мертвых тканей, так как лист растет, коричневые круги перестают расти, и в конечном итоге они опадают, оставляя фирменные круглые отверстия. Со временем они могут объединяться, оставляя большие дыры в листья. Менее очевидные признаки — коричневые пятна вокруг развивающихся почек и / или серые пятна на плодах, которые также могут включать смолистые жвачка.
Урон от выстрела по листьям
Заболевание представляет собой грибковую инфекцию, которая развивается во влажных и многолюдных условиях. условия.Поддается химической обработке как весной, так и осенью. Весной распыляйте противогрибковую смесь, такую как Westland Plant Rescue Fungus. Концентрат.
Фунгицид меди Bordeaux Mixture ранее рекомендовался как спрей для профилактики грибковых заболеваний плодовых деревьев. Однако сейчас (или скоро будет) снята с продажи в Великобритании. В настоящее время нет альтернативы, доказавшие свою эффективность эффективен как смесь Bordeaux
Предлагаются различные альтернативы, например раствор аспирина или молоко, но ни один из них не имеет никакого эффекта.
С грибком можно бороться, просто уменьшив количество пораженных. листья, почки и правильная обрезка, особенно нижней части центра дерева. Во-первых, удалите все опавшие листья и ветки вокруг основание дерева. Если участок заболочен, постарайтесь обеспечить хороший дренаж. для снижения влажности. Обрежьте все пораженные ветки с инфицированными почками.
Сливовые деревья, такие как Виктория, более подвержены воздействию Shothole. потому что они имеют тенденцию к росту ветвей и листвы близко друг к другу — идеально условия для этого грибка.
ШТОКИ И ОТВЕТКИ ИМЕЮТ КРУГЛЫЕ ОТВЕРСТИЯ
Рисунок ниже очень хорошо описывает симптомы. Круглые отверстия в коре дерева видны, чаще всего в основном стебле. Повторяющиеся атаки приводят не только к образованию дыр в коре. но кора начинает отрываться от внутренней поверхности дерева. Бурильный молоток чаще всего встречается на сливе, яблони, груши и вишни.
Отверстие для выстрела Borer damage in a Plum Tree
Отверстия вызваны жуком-бурильщиком, жизненный цикл которого следующий:
- Взрослые жуки (черные / темно-коричневые) проделали небольшие норы в древесине в мае / июне, где
откладывают около 50 яиц.
- Яйца окукливаются в личинок, которые питаются древесиной.
- Примерно через два месяца личинки превратились во взрослых жуков, и они прокладывали себе путь из
древесина оставляет характерные маленькие круглые отверстия.
- В августе / сентябре взрослые особи прокладывают себе путь обратно в кору, где откладывают яйца.
- Яйца зимуют и появляются взрослыми особями в мае / июне, снова начиная свой жизненный цикл.
В большинстве случаев пораженные сливы уже ослаблены, и бурильные молотки вызывают даже больше повреждений.В Великобритании нет спреев с инсектицидами / пестицидами для предотвращения или лечения пробоины. бурильщики. Ваш единственный вариант (с очень небольшими шансами на успех) — улучшить общее состояние здоровья. дерева. На самом деле, вероятно, лучше всего выкопать дерево, сжечь его и начать заново. Не делайте посадите новые фруктовые деревья на том же месте.
ПОД ЛИСТЬЯМИ КОРИЧНЕВЫЕ — СЛИВЫ РЖАВЧИНЫ
Ржавчина на деревьях сливы вызывается грибком Tranzschelia pruni-spinosae .Обычно впервые замечают в августе с нижней стороны листьев. имеющий ржаво-коричневый налет. Верхняя сторона листьев также может на них есть маленькие неправильные черные отметины, см. рисунки ниже. Некоторые сорта сливы, особенно Виктория, более подвержены ржавчине. по сравнению с другими.
Не влияет на плод, если плод проявляет признаки болезни. есть другая проблема как ржавчина. В настоящее время существует несколько спреев, доступны садоводу-любителю для борьбы с ржавчиной, но ни один из них опрыскивается сливовыми деревьями (или другими съедобными культурами).Вы увидите это конкретно упоминается на этикетках продуктов.
Хотя ржавчина может быть очень серьезной проблемой для некоторых растений (например, некоторых сосновых деревья) это не серьезная проблема для сливовых деревьев, потому что она возникает поздно год. Ржавчина распространяется по ветру и зимует на / чуть ниже земля на растительных веществах, особенно на листьях. Также зимует до небольшого степень в щелях на коре сливовых деревьев.
В любой год будет несколько источников ржавчины, и это почти невозможно искоренить их все.Однако следующие действия ограничат распространение болезни и во многих случаях все делает ее незаметной:
- Ржавчина растет во влажных условиях, и это можно уменьшить,
обеспечение хорошей циркуляции воздуха в середине дерева.
Если через год у вас возникла проблема с ржавчиной, обратите особое внимание на
прореживать центр вашего плюмового дерева, когда вы
обрезать его в июне / июле следующего года.
- Ржавчина сливы в основном зимует на опавших листьях.
земля.В год вы заметите ржавчину как проблему
как можно чаще убирайте все опавшие листья. Сделайте то же самое в следующий
год, даже если ржавчина минимальна.
- НЕ удаляйте зараженные листья с дерева, подождите, пока они не упадут на
земля. Листья, зараженные ржавчиной, все еще могут служить источником
питательные вещества для сливового дерева, особенно непосредственно перед тем, как они опадут.
- Ржавчина лучше всего растет на богатой азотом листве, не подкармливайте сливовое дерево азотными удобрениями.Если вам все же нужно подкормить дерево, используйте удобрения длительного действия, такие как кровь, рыба и кость.
ЗОННЫЕ, МИШАПЕНСКИЕ ОБЛАСТИ КОРЫ, ТЕМНАЯ КАМАЯ ИЛИ С ПОВЕРХНОСТИ
Это классические признаки бактериального рака. Другой признак — пожелтевшие листья с дырками. в них. Нажмите здесь, чтобы прочтите нашу подробную статью о выявлении и лечении бактериального рака как а также жизненный цикл.
ПРОЗРАЧНЫЕ КАПЧАТКИ ЗАКАЛЕННОЙ СМОЛЫ / ЖЕЛЕ НА СЛИВАХ
Сливовые деревья, которые страдают от экологического стресса, такого как жаркая или холодная погода, колебания уровня влажности у корней или часто подобные условия производить сливы с небольшими каплями прозрачной затвердевшей жидкости на них, на рисунке ниже показаны эти капли на сливах.
Их может быть много или всего несколько. А также условия окружающей среды это может быть вызвано очень локализованным повреждением насекомыми или результатом какой-нибудь другой более серьезный вредитель или болезнь. Сами капли не являются вредителями или болезнь, но они возникают в результате какого-либо другого вредителя, болезни или состояние.
Разрежьте пораженную сливу пополам и поищите признаки вредителя, если они не обнаружены. тогда слива еще съедобна.Если есть другие признаки, диагностируйте, что вызвало их, а не беспокоиться о самих каплях, они просто признак другой проблемы.
ЦВЕТ, НО ФРУКТОВ
На эту проблему нет однозначного ответа, поэтому вам нужно проработать следующий раздел, чтобы решить что случилось:
- Когда цветки формируются ранней весной, до того момента, когда они распускаются, поздняя
мороз может повредить цветок. В этом случае цветы погибнут в течение суток после
мороз, и вы получите побуренный и явно поврежденный цветок.Это не будет опыляться
и поэтому не принесет плодов.
Иногда это случается в холодные годы, и ничего не остается, кроме как мириться с этим. и надеюсь на плоды в следующем году. Также может быть, что дерево находится в положении, в котором оно будет очень часто страдают от поздних заморозков либо из-за того, что в районе, где вы живете, всегда прохладно, либо из-за деревьев может быть в морозном кармане. Если это так, у вас есть два варианта.
- Если дерево молодое, его можно переместить в лучшее место.
- Если ему пять лет или больше, то, наверное, лучше подумать о новом, более морозном стойкое сливовое дерево. Царь и Виктория — два распространенных сорта, которые хорошо переносят холода.
- Если дерево молодое, его можно переместить в лучшее место.
- Цветки не опыляются. В этом случае цветок появится, но будет
просто отмирают до опыления. Возможные причины этого:
- Дерево не самооплодотворяется, и поблизости нет подходящего партнера для опыления.Смотрите нашу страницу на
для получения полной информации об опылении сливы. Чтобы сэкономить время
для многих из вас, кто читает это, я могу подтвердить, что два самых распространенных сливовых дерева, Виктория и Царь,
являются самоплодородными и не нуждаются в партнере для опыления, чтобы завязать плоды.
- Пчелы не могут опылять цветки. В некоторых районах пчел просто не хватает. В
в других местах погода могла быть слишком холодной или слишком ветреной / дождливой в течение длительного периода времени
что предотвратит выход пчел и опыление дерева.
На рисунке выше показаны два цветка, которые уже отцвели. Слева плод имеет (т.е. цветок был опылен), и это можно определить, потому что чуть ниже старого цветут, плод имеет небольшую выпуклость. Справа плод не завязал (т.е. не опылялся), и это можно определить, потому что чуть ниже старого цветка «фрукт» не имеет выпуклости.
- Дерево не самооплодотворяется, и поблизости нет подходящего партнера для опыления.Смотрите нашу страницу на
для получения полной информации об опылении сливы. Чтобы сэкономить время
для многих из вас, кто читает это, я могу подтвердить, что два самых распространенных сливовых дерева, Виктория и Царь,
являются самоплодородными и не нуждаются в партнере для опыления, чтобы завязать плоды.
- Если ничего из вышеперечисленного не относится к вашему сливовому дереву, проблема, скорее всего, связана с тем, как слива За деревом ухаживают, включая обрезку.
СОКРАЩЕННОЕ КОЛИЧЕСТВО ЦВЕТОВ
Сливовые и зеленые деревья известны тем, что не цветут в их первые три-четыре года. Один год они могут быть в порядке, в следующем там может быть очень мало или совсем не цвести. Они особенно склонны не производить цветут, когда наступает похолодание в то время, когда цветение только начиная.
Ничего нельзя сделать, кроме как поддерживать их в хорошем состоянии (см. инструкции по уходу здесь) и они, скорее всего, цветут и приносят плоды в следующем году.С меньшими деревьями и теми, что в контейнеры можно обернуть сеткой садоводческим флисом, чтобы уменьшить опасность повреждения от мороза. Однако выглядит это некрасиво и непрактично. решение с большими деревьями.
В некоторых садах положение дерева может препятствовать теневой стороне дерево от цветения, но сторона, обращенная к солнцу, относительно незатронутый. Это вызвано тем, что затененная сторона больше всего страдает от холода. погода по сравнению с солнечной стороной.
ФРУКТЫ ОТКРЫТЫЕ
На картинке ниже все сказано, сливы имеют большие трещины. Обычно это происходит с конца июля по август и часто так же, как сливы. кажется, созревают.
Разрезанные плоды сливы
Изображение предоставлено читателем Брайаном Келли
Изначально это не вредитель или болезнь, это результат изменений в наличие воды у корней. Обычно будет засушливый период и за это время формирующаяся кожица сливы начнет немного затвердевать, как результат.Затем, если вдруг станет доступно большое количество воды, фрукты набухает, но кожа не успевает за ним и трескается.
Если слива выращивается в контейнере, рекомендуется поливать больше. часто, но не поливайте. Постарайтесь поддерживать постоянную подачу воды. Если дерево находится в открытом грунте и наступает засуха, особенно если дерево растет у стены, поливают каждую неделю или около того. Мульча вокруг дерево по всей длине навеса также поможет обеспечить ровный подача воды.
Когда плоды раскололись, они еще полностью съедобны. Однако они быстро привлечет ос, других вредителей и болезни, которые испортят фруктов даже больше. В правом нижнем углу сливы на картинке выше видна капля полутвердая смола, которая является просто побочным эффектом расслоение сливы.
ВЯЛИ ЛИСТЬЯ СЛИВЫ
Читатель этих страниц отправил на картинку ниже по адресу проиллюстрируйте проблему. На снимке хорошо видны увядшие листья, а также желто-коричневые листья, некоторые с небольшими отверстиями.Мы здесь исключительно с увядшими листьями, потому что по всей вероятности основная проблема является причиной увядших листьев. Коричневые и пожелтевшие листья вполне могут быть вторичный симптом.
Увядшие листья сливы
Увядшие листья — признак того, что верхняя часть дерева не получает достаточного количества воды, но проблема может быть не в недостатке воды. Увядание могло быть вызвано слишком большим количеством воды.
К сожалению, у сливового дерева может быть несколько причин, по которым вянут листья, и мы обсудим каждую из них. ниже.Вам решать, что применимо в вашем случае.
НЕДОСТАТОЧНО ВОДЫ
Если дереву не хватает воды, в конечном итоге оно пострадает, и увядшие листья будут одно из первых указаний на проблему. Эта ситуация чаще всего встречается в деревья в контейнерах и молодые деревья, посаженные в землю. Редко в установленные деревья, если только что-то существенное не произошло на территории вокруг дерева.
Решение простое, поливать чаще. Если дерево находится в контейнере, временно перемещение его в тенистое место также ускорит процесс восстановления
СЛИШКОМ МНОГО ВОДЫ
Слишком много воды может иметь такой же эффект.Если сливовое дерево заболочено, корни не могут поглотите необходимый кислород, и дерево придет в упадок. Чтобы повредить дерево, может потребоваться несколько недель.
Почва вокруг дерева или в контейнере будет постоянно переувлажненной (исключая недостаток воды). Решение — прекратить поливать дерево до тех пор, пока окружающая земля (или в контейнере) намного суше.
ПОТОК ВОДЫ ПРЕРЫВАЕТСЯ
Если основной ствол дерева поврежден или инфицирован, подача воды в верхнюю часть дерева может быть нарушена. полностью или частично ограничено.Это может вызвать увядание листьев. Наиболее частая причина этого — тяжелая язвенная болезнь. затрагивающий основной ствол.
Если язва поражает только определенные ветви, увядание листья будут ограничены этой частью дерева. См. Здесь для более подробной информации статья о язве и сливе. Альтернативная причина может иногда могут быть повреждения, причиненные такими животными, как олени.
КОРНИ ПОВРЕЖДЕНЫ ИЛИ ЗАРАЖЕНЫ
Наименее вероятной причиной увядания листьев являются поврежденные корни, но это действительно так. иногда случается.Проблему трудно диагностировать без выкопать дерево, и это нанесет ему серьезный ущерб. Повреждение корней может прекратить впитывание влаги и лишить листву воды.
Лучше всего выкопать дерево только тогда, когда вся надежда на его восстановление потеряна. В этот момент внимательно осмотрите корни на предмет повреждений и / или болезней. Это позволит вам принять меры для защиты близлежащих деревьев и любых новых насаждений.
СЛИВЫ
Осы могут поедать сливы и обезображивать их, а иногда и наносят значительный ущерб.За прошедшие годы было разработано множество хитростей и устройств, но пока есть доказательства того, что ни одно из них не оказывает сколько-нибудь значительного влияния на снижение активности ос.
Сюда входят банки для варенья, наполненные сладкой жидкостью, в которой могут задерживаться несколько ос, но цифры настолько незначительны, что их можно считать бесполезными.
Последнее устройство — ложное осиное гнездо, предназначенное для отпугивания других ос. Мы не можем найти ни малейшего доказательства того, что это работает.
Если осы нанесли вашему сливовому дереву значительный ущерб, можете быть уверены, что поблизости есть осовое гнездо.Осы не ленивые насекомые, но при этом они не глупы, они строят свои гнезда рядом с источником пищи и считают сливы, яблоки, груши и т. Д. Очень хорошим источником пищи.
Что еще хуже, если осы повреждают плоды сливы, это часто может быстро привлечь мух, которые будут питаться поврежденными участками. Они могут вызвать дальнейшие проблемы, а также поможет передать болезни слив.
Единственный способ уменьшить урон, наносимый осами фруктовым деревьям, — это убить их в их гнезде.Обязательно потратьте время на поиски в Интернете других решений, но на данный момент их нет. Найти и убить их в гнезде — единственное решение.
Что касается уничтожения ос, мы советуем оставить это опытным компаниям по борьбе с вредителями. В среднем только пять человек погибают каждый год от укусов ос и пчел, но многие другие страдают очень плохой реакцией, и многие другие на протяжении всей жизни испытывают страх перед осами. Оставьте это экспертам.
После этого останется только найти осиное гнездо.Вам нужно будет немного потратить времени делать это. Наблюдайте за осами, когда они приземляются на фрукты, а затем определите направление, в котором они улетают, и следуйте за ним. Приложив немного терпения, это в конечном итоге приведет вас к их гнезду, которое вряд ли будет далеко.
Приносим извинения за то, что не предоставили быстрое и бесплатное решение проблемы повреждения осами сливы и других фруктовых деревьев, но приведенные выше факты являются фактами.
ЧТО ЕСТЬ ЛИСТЬЯ МОЙ СЛИВЫ?
Сразу скажу, у меня точно нет решения этой проблемы и никогда не слышал о таком, которое работает.Если листья сливы сильно повредились и нет признаков гусениц или других насекомых, то наиболее вероятной причиной является Лесной голубь .
Они отрывают концы и стороны листьев и могут нанести большой ущерб даже хорошо укоренившиеся деревья. Что заставляет их делать это, неизвестно, потому что они этого не делают. кажется, они поедают листья, они просто отрывают их части.
Вы редко увидите, как они делают это, потому что они улетают при виде люди.Есть несколько пластиковых моделей хищных птиц, которые можно повесить. деревья, которые созданы, чтобы их отпугнуть. Наш совет: они просто не работают. Другие решения включают подвешивание компакт-дисков или пластиковых пакетов в ветки, но и они, похоже, не работают.
Если дерево достаточно маленькое, его можно накрыть сеткой. имеет хороший эффект. Конечно, с большим укоренившимся сливовым деревом это не разумный вариант.
КОММЕНТАРИИ / ВОПРОСЫ, ОСТАВЛЕННЫЕ НАШИМИ ЧИТАТЕЛЯМИ
Мы переместили раздел комментариев и вопросов Plum Tree на отдельную страницу, которую может посетить нажмите здесь .На этой странице вы может просмотреть все ранее заданные вопросы / ответы / комментарии, а также задать любые новые вопросы.
Страница вопросов и ответов содержит большое количество дополнительной информации. о проблемах сливового дерева.
Органическое средство для лечения болезней яблони |
Кимберли МакГи Обновлено 3 сентября 2019 г.
Хрустящим, сочным яблокам нужно время, чтобы созреть и тщательно ухаживать за ними, от почвы до кончиков ветвей.Чтобы яблоки были отмечены как «органические», они должны расти без какой-либо химической обработки.
Выращивание органических яблок начинается с почвы, свободной от патогенов, и продолжается в течение всего срока службы деревьев. Они требуют надлежащей санитарии, постоянного ухода и ухода.
Преимущества выращивания органических яблок
Яблоки являются богатым источником полифенолов и других важных питательных веществ. Среднее яблоко содержит 4 грамма клетчатки и 14 процентов витамина С.Они обеспечивают хорошую дозу марганца, меди и множества витаминов из A, E, B1, B2 и B6.
Прежде чем вы планируете выращивать яблоню или ряды деревьев, проверьте почву. Хорошая основа обеспечит здоровый, высокий экземпляр с яркими полными цветами и множеством круглых плодов.
Выбирайте деревья, устойчивые к болезням и подходящие для погоды и климата вашего региона.
Лучшие органические варианты борьбы с болезнями деревьев
У вас есть несколько методов борьбы с тяжелыми болезнями, поражающими яблони.Двумя основными методами органического земледелия являются:
- Спрей — К серьезным заболеваниям, таким как бактериальный ожог и парша яблони, которые могут быстро повредить здоровые яблони, относятся спящие масляные спреи, такие как жидкое медное мыло или бордоская смесь. Многие из этих спреев могут вылечить другие болезни, которые незаметно расползаются, пока не станет слишком поздно. Они не повредят дереву, если все сделать правильно в нужное время в течение вегетационного периода.
Solar —
Перед посадкой одного дерева или молодых яблонь позвольте солнцу прогреть почву и убить смертельные или переносимые через почву патогены.Температура должна быть как минимум около 100 градусов по Фаренгейту, чтобы солнечное решение работало. Накройте почву листами пластика и дайте солнцу прогреть землю в течение 2–4 недель, прежде чем вы планируете посадку.
Требования к почве для органических яблок
Яблони подвержены многим болезням, одной из которых является синдром больной почвы. Это одно из самых распространенных заболеваний, поражающих молодые яблони.
Больная почва считается заболеванием, связанным с пересаживаемостью.Он варьируется в зависимости от региона и может включать нематоды и грибковые патогены, обитающие в почве.
Выявление болезней
Чтобы успешно противостоять тому, что вредит плодам яблони, вам необходимо определить конкретное заболевание. Яблоки могут казаться поврежденными болезнью, хотя на самом деле они могут быть повреждены голодными птицами или насекомыми, атакующими созревающие плоды.
Обычно болезнь начинается на ветвях или листьях, а затем распространяется на цветы и плоды. Регулярный уход, обрезка и простое наблюдение за развитием плодовых деревьев, особенно во время вегетационного периода, могут помочь в борьбе с болезнями яблонь до того, как они выйдут из-под контроля.
Прежде чем вкладывать средства в создание или покупку органических спреев и средств борьбы с болезнями, тщательно выясните причину проблемы. Когда вы знаете, что вызывает точечную коррозию , обесцвечивание или повреждение внешнего вида , тогда у вас больше шансов избавиться от этого. Болезни яблонь бывает сложно идентифицировать, поэтому изучите их, прежде чем составлять план нападения.
Яблочная парша
Это заболевание может поражать как ветви, так и плоды дерева.У яблонь есть что-то похожее на бородавки или коричневые шишки на листьях и фруктах, что, скорее всего, связано с этим распространенным грибком. Области, которые борются с приступами высокой влажности, как правило, становятся жертвами парши яблони.
Грибковое заболевание проявляется в виде бледно-желтых или коричневато-зеленых пятен на верхней поверхности листьев или темных бархатистых пятен на нижней стороне увядающего листа. Зараженные листья опадают в начале лета, когда на плодах появляются признаки прогрессирования парши яблони.Пятна от чесотки будут распускаться по всему плоду, заставляя его трескаться, вызывая появление насекомых и другие проблемы, которые могут повлиять на общее состояние дерева.
Для лечения парши яблони регулярно подгребайте под деревьями и уничтожайте зараженные листья, на которых находятся споры грибка. Это остановит развитие болезни и предотвратит распространение болезни на другие здоровые деревья или ее повторное появление следующей весной. Жидкое медное мыло можно распылить на дерево , чтобы предотвратить болезнь до ее начала; через неделю проведите второе опрыскивание.
Мучнистая роса
Это обычная проблема для многих растений, а также для яблонь. Это может значительно уменьшить количество цветков на дереве; следовательно, это снизит урожайность яблок в конце вегетационного периода. Это может вызвать задержку роста и порчу плодов позже в вегетационный период.
На плодах мучнистая роса имеет вид мягкого, бархатистого покрытия вдоль листьев и ветвей. Он не разборчиво выбирает, какой сорт яблони атакует, хотя некоторые виды яблонь более восприимчивы к этому заболеванию, чем другие.
Как победить черную гниль
Это тяжелое заболевание может появиться на яблонях одним из трех способов. К ним относятся:
- Рак на конечностях черной гнили — Если вы заметили небольшие углубления на конечностях дерева, скорее всего, это вызвано этим заболеванием. Он будет расти, пока кора не начнет отслаиваться.
- Черная гниль плодов — Вы увидите это на конце цветков плода, который станет коричневым и быстро распространится, пока не поглотит весь земной шар.Он не становится мягким, когда плод становится черным из коричневого.
- Листовая пятнистость Frogeye — Когда яркие цветы на яблони начинают опадать, эта уродливая болезнь начинает поднимать свою уродливую голову. Он проявляется на листьях дерева в виде небольших серых или светло-коричневых пятен с пурпурным оттенком по краям.
Лучший способ избавиться от черной гнили — удалить все пораженные опавшие листья и плоды, срезать кору и язвы, а также поддерживать чистоту под деревом.Используйте спрей на медной основе или известковую серу, чтобы еще больше контролировать распространение черной гнили.
Яблочная ржавчина отгоняет
Ржавчина проявляется в виде желто-оранжевых пятен на листьях, ветвях и плодах яблони. Он начинается с небольших ямок коричневых пятен с кольцом оранжевого оттенка , которое разрастается и охватывает весь лист или группы. Это делает его похожим на ржавчину, свисающую с ярко-зеленого навеса здоровой яблони.
Яблони поражают три формы ржавчины.К ним относятся:
- Ржавчина кедра и яблони
- Ржавчина кедра и боярышника
- Ржавчина кедра и айвы
Ржавчину можно контролировать, удаляя пораженные ветви примерно на 4–6 дюймов ниже последней пораженной области. Обработайте дерево весной, чтобы опередить инфекцию, если дерево пострадало в прошлом году.
Вырезание гнили воротничка
Это кольцо вокруг крепкой яблони не радует. Если вы обнаружили, что эта болезнь ползет вокруг вашего фруктового дерева, то вам нужно принять меры быстро .Он может срубить здоровое дерево всего за один сезон.
Гниль воротничка вызовет задержку роста, или задержку роста ветвей и почек дерева. Листья, защищающие плод, станут желтыми и начнут опадать до того, как у основания дерева появится язва. Как только язва начнет формироваться, она опоясывает дерево и полностью его убивает.
Используйте органический системный фунгицид в окружающей почве. Удалите все ветви, на которых есть признаки болезни.Собрав все листья с земли, не забудьте выбросить все пораженные обрезки и груды, чтобы переносимый по воздуху гриб не переместился на другие здоровые деревья.
Защита от Fire Blight
Это одна из самых разрушительных болезней, которые могут поразить яблоню и быстро ее уничтожить. Фитофтороз начинается с малого и охватывает все части здорового дерева. По мере прогрессирования болезни листья и ветви могут выглядеть опаленными.
Фитофтороз начинается на кончиках ветвей яблони и распространяется вниз по стеблям.Поражает листья, цветы и ветви. Это бактериальное заболевание, которое начинается с обесцвеченных и вдавленных участков коры и ветвей по мере отмирания ветвей.
При первых признаках бактериального ожога используйте жидкое медное мыло из расчета 0,5–2 унции на галлон воды, в зависимости от размера дерева. Повторяйте это когда-либо от трех до пяти дней , пока лепестки не упадут.
Лечение грибковых заболеваний
- В общем, если вы обнаружили одно из распространенных грибковых заболеваний на листьях и плодах яблонь, то есть несколько шагов и органических фунгицидов, которые могут решить эту проблему.
- Уничтожайте опавшие листья и регулярно подгребайте под деревом, чтобы споры грибов не могли распространяться в воздухе или в почве.
- Поливайте рано утром или вечером, чтобы листья не оставались влажными надолго.
- Разложите слой компоста на 3–6 дюймов под деревом, но не близко к стволу, чтобы подавить способность грибов распространяться.
- Используйте органический фунгицид, такой как жидкое медное мыло, за две недели до начала вегетации, а через неделю в качестве профилактической меры выполните еще одну обработку.
Если это серьезная проблема, примените в почву безопасный для почвы системный фунгицид, чтобы предотвратить рост грибка, а также предотвратить возникновение грибковых заболеваний на яблонях.
Дезинфицируйте секаторы, которые вы используете, с помощью 10-процентного раствора отбеливателя и воды или спирта и воды, перемещаясь по дереву, чтобы не допустить случайного распространения грибка.
Устойчивые к болезням сорта яблонь
Посадка устойчивых к болезням яблонь может быть первой линией защиты от болезней, поражающих вашу яблоню.Сорта яблони, устойчивые к атакам, включают следующие культивары: «Свобода», «Джонафри», «Либерти», «Золотая лихорадка», «Энтерпрайз», «Кортленд», «Редфри» и «Пристайн».
Защитите яблони от вредителей
Помимо грибковых проблем, вызывающих болезни, вредители могут быстро распространять проблемы по одному дереву или по всему саду производителей здоровых фруктов. Во время вегетационного периода яблони необходимо соблюдать несколько процедур, чтобы не допустить распространения насекомых и насекомых.Прежде чем весной появятся новые листья, опрыскайте деревья нетоксичным садовым маслом, которое задушит спящих насекомых вместе с их скоплениями крошечных яиц.
Примерно с начала до середины лета — сезон размножения клопов. Это также лучшее время для борьбы с насекомыми с помощью органических инсектицидов, чтобы они не спаривались и не откладывали яйца на бутонах или рядом с ними. Вредители, поражающие яблони и повреждающие плоды и листья, включают в себя плодовую моль, личинку мух и сливу куркулю.
Борьба с болезнями листьев | Антракноз, парша яблони и бактериальный ожог
Каждую осень мы с нетерпением ждем трансформации деревьев. Их листья превращаются из крепкого зеленого в пеструю смесь огненно-красных, оранжевых и желтых оттенков.
Но вы можете заметить и кое-что еще.
Если на ваших листьях есть темные пятна, необычный цвет или искаженная форма, проблема может быть в болезни листьев.
Наслаждаясь живописным пейзажем, сканируйте листву деревьев.Раннее обнаружение болезни приводит к раннему лечению, поэтому ваше дерево может продолжать расти до wow каждую осень.
Обратите внимание на следующие тревожные знаки на листьях деревьев.
Видите пятнистые коричневые пятна вдоль жилок листа? Или обвисшие листья, которые опадают раньше обычного?
Антракноз может быть вашим виновником, особенно если в вашем районе были влажные весна и лето. Губительный гриб антракноз поражает ясень, клен, дуб, платан и кизил. Это заболевание может быть более распространенным и проблематичным из-за наличия нескольких патогенов, вызывающих его.
Дубовые листья начинают провисать при сильном заражении; кленовые листья имеют большие белые пятна.
Пятна на почерневших листьях, которые растут в форме леденца и со временем становятся полностью коричневыми? Или побеги красной или черной груши?
Виноват бактериальный ожог. Болезнь деревьев поражает яблоню, грушу, терновник, рябину, вишню, кизильник, боярышник, айву.
Мертвые почерневшие листья и плоды прилипают к вашему дереву, делая его обгоревшим. Цветы, фрукты и ветки также сморщиваются и чернеют, при этом никогда не падают с дерева.
Если вы подозреваете бактериальный ожог, обратите внимание на небольшие коричневые язвы на ветках и ветвях. Также поищите на заболони веточки и побеги цвета корицы.
Обратите внимание на листья или фрукты с оливково-зелеными точками? Или листья бледнеют и опадают слишком рано?
Яблочная корка может быть вашей проблемой! Заболевание поражает яблони, яблони, рябины, груши и кизильник. Вначале желтые пятна появляются на листьях с мая по июнь. Затем они становятся темно-оливково-зелеными, увеличиваются в размерах и приобретают бархатистую текстуру.
В крайнем случае листья теряют окраску, становятся белыми или бледно-желтыми и преждевременно опадают.
Еще один характерный признак — деформированные, точечные плоды и скрученные новые листья. Хотя в большинстве случаев это безвредное заболевание, это очень неприятное с эстетической точки зрения заболевание.
Важно очистить двор от мусора, упавшего с пораженных деревьев. Этот совет предназначен для всех этих болезней.
Думаете, у вашего дерева болезнь листьев? Позвоните вашему местному сертифицированному арбористу
Яблочная парша яблок и яблонь
Тип фунгицидов, которые можно использовать, и время обработки зависит от того, собираетесь ли вы съесть фрукты с дерева или дерево является только декоративным.
- Не применять фунгициды:
- На сортах яблок и яблонь, устойчивых к парше яблони или невосприимчивых к ней.
- Для борьбы с паршой яблони на декоративных деревьях или фруктовых деревьях, где качество плодов не вызывает беспокойства (например, фрукты будут использоваться для сидра).
- Фунгициды можно использовать:
- Для защиты фруктовых деревьев от потери листьев и заражения плодов на деревьях, где важно качество фруктов (например, яблоки для употребления в пищу в свежем виде), и на дереве в анамнезе была сильная парша яблони.
- Для улучшения здоровья дерева, лишившегося большей части листьев из-за парши яблони в течение 3 лет подряд.
- Надлежащие методы санитарии и контроля культур всегда должны использоваться вместо фунгицидов или в дополнение к ним.
Фунгициды для защиты декоративных яблок от парши яблони
Фунгициды не излечивают пятна на листьях, но защищают здоровые листья от заражения. Для декоративных яблонь необходимо время для обработки фунгицидами, чтобы защитить новые листья по мере их появления весной.
- Опрыскивание должно начинаться, когда весной появляются первые зеленые листочки.
- Эта стадия роста известна как «зеленая вершина ½ дюйма». Это когда листовые почки набухли и начали раскрываться, так что стало видно около ½ дюйма ткани листа.
- Повторяйте распыление до тех пор, пока большая часть цветочных лепестков не упадет с дерева.
- Рекомендуемый интервал опрыскивания проверьте на этикетках фунгицидов. На большинстве этикеток предлагается подождать несколько дней до повторного распыления, например: «Через 7–10 дней после распыления вам нужно будет снова распылить».«
- Используйте более короткий интервал:
- Когда погода требует частых дождей.
- Где парша была серьезной проблемой в последние годы.
- Используйте более длинный интервал:
- В сухую погоду с небольшим дождем или без него.
- Где парша не была серьезной проблемой в последние годы.
- Во многих ландшафтах 2 своевременных фунгицида весной защитят декоративные яблони от парши яблони.
Не применять фунгициды к больному дереву
Фунгициды защищают от заражения только здоровые деревья.Как только на дереве появляются пятна на листьях, фунгициды не справляются с болезнью.
Если в этом году ваше дерево уже заражено паршой яблони:
- В этом году не применять фунгициды.
- Следуйте приведенным выше инструкциям, чтобы удалить опавшие листья в конце вегетационного периода и подрезать, чтобы открыть навес зимой.
- Рассмотрите возможность применения фунгицидов следующей весной, если дерево потеряло большую часть своих листьев из-за парши яблони в течение трех или более лет подряд.
Можно ли опрыскивать собственное дерево?
Небольшие деревья можно обработать домашним садовником, если внимательно прочитать и соблюдать все инструкции на этикетке фунгицида. Свяжитесь с сертифицированным лесоводом, чтобы обработать фунгицидами большие деревья.
Фунгициды только для декоративных яблонь
Этот раздел применяется только к декоративным яблочкам, но НЕ СЪЕДОБНЫМ ЯБЛОКАМ ИЛИ КРАБАСАМ.
Фунгицидные активные ингредиенты для лечения яблочной парши на декоративных яблонях:
- Тебуконазол
- Миклобутанил
- Captan
- Хлороталонил
- Пропиконазол
- Манкозеб
- Сера / известковая сера *
- Масло нима *
- Медь **
* Могут наблюдаться ожоги тканей растений, особенно во время сильной жары.
** При использовании медных продуктов на плодах может образоваться побурение (грубая пробковая кожица).
Фунгициды для защиты плодовых деревьев от парши яблони
Яблоки и съедобные яблони, серьезно инфицированные паршой яблони, имеют плохие плоды и ухудшают здоровье в результате потери листьев. Фунгициды можно использовать для защиты здоровых деревьев от парши яблони, но они не излечивают зараженное дерево.
Когда начинать опрыскивание?
- Опрыскивание должно начинаться, когда весной появляются первые зеленые листочки.
- Эта стадия роста известна как «зеленая вершина ½ дюйма». Это когда листовые почки набухли и начали раскрываться, так что стало видно около ½ дюйма ткани листа.
Как часто нужно распылять?
Проверьте рекомендуемый интервал опрыскивания на этикетках фунгицидов. На большинстве этикеток предлагается подождать несколько дней до повторного распыления, например, «через 7–10 дней после распыления вам нужно будет снова выполнить распыление».
Используйте более короткий интервал:
- Когда погода требует частых дождей.
- Где парша была серьезной проблемой в последние годы.
Используйте более длинный интервал:
- В сухую погоду с небольшим дождем или без него.
- Где парша не была серьезной проблемой в последние годы.
Когда можно прекратить распыление от парши?
В середине июня осмотрите листья на своих деревьях на предмет поражения паршой. Будьте очень внимательны, проверяя верхнюю и нижнюю поверхности листьев, листья на внутренней и внешней стороне навеса, листья, расположенные близко к земле и расположенные выше на дереве.
Если пятен на листьях парши яблони нет или их очень мало:
- Больше не нужно опрыскивать фунгициды.
Если вы обнаружите пятна на листьях парши или если поблизости есть зараженные паршой яблони или яблони с поражениями паршой:
- Следует продолжить распыление.
- Поражения на листьях будут выделять больше спор парши все лето.
Устранение парши яблони
Если парша была проблемой при посадке яблок, на то, чтобы взять ее под контроль, может потребоваться год или два.На 2-й или 3-й год вы обнаружите, что вам нужно опрыскивать только с ½ дюйма зеленого наконечника до середины июня, если вы:
- Продолжайте спреи в установленное время, чтобы покрыть всю ткань листьев и фруктов.
- Практикуйте отличную очистку опавших листьев.
- И если внешние источники спор грибов немногочисленны или отдалены.
Какие фунгициды использовать?
К материалам, доступным домашним производителям для борьбы с паршой съедобных яблок и яблочных яблок, относятся каптан, известковая сера и порошкообразная или смачиваемая сера.
Нанесение известково-серной смеси сразу после распыления каптана может повредить листья и цветочные почки, поэтому будьте осторожны при вращении этих двух материалов.
Не рекомендуются универсальные фруктовые спреи
Универсальные спреи, содержащие комбинации фунгицидов, инсектицидов и иногда митицидов.
- Они могут применяться только для опрыскивания парши сразу после опадания лепестков, когда также могут потребоваться спреи от инсектицидов и опылители отсутствуют.
- Для большинства опрыскивателей от парши яблок требуется только фунгицидная часть. Инсектицидная часть спрея не нужна и может навредить полезным насекомым.
НИКОГДА НЕ ИСПОЛЬЗУЙТЕ УНИВЕРСАЛЬНЫЙ СПРЕЙ ДЛЯ ФРУКТОВ ВО ВРЕМЯ БЛУМА. Эти спреи убивают опылителей, в том числе медоносных пчел, шмелей, одиночных пчел и многих других полезных насекомых, поскольку в их состав входит инсектицид.
Название обрабатываемого растения ДОЛЖНО БЫТЬ ЗАПИСАНО на этикетке фунгицида, иначе продукт нельзя использовать.Некоторые продукты зарегистрированы для использования на декоративных яблочках, но небезопасны для использования на яблочных или яблочных фруктах, предназначенных для употребления в пищу. Всегда полностью читайте и выполняйте все инструкции на этикетке фунгицида.
Болезни дуба и насекомые-вредители
Хотя дубы ( видов Quercus ) хорошо адаптированы для Южной Каролины, они могут быть подвержены воздействию многих вредителей и болезней. Сохранение здоровых дубов с соблюдением рекомендованных культурных практик — первая линия защиты от большинства этих проблем.Для получения дополнительной информации см. HGIC 1017, Дуб .
Болезни
Дубовый лист блистер на водном дубе.
Эндрю Дж. Бун, Комиссия по лесному хозяйству Южной Каролины, www.forestryimages.org
Волдырь на дубовых листьях: Волдыри на дубовых листьях — болезнь, вызываемая грибком Taphrina caerulescens . Восприимчивы большинство пород дуба, но особенно это касается группы красного и черного дуба. Незначительные инфекции причиняют небольшой вред, но при тяжелых инфекциях может произойти дефолиация в середине лета.На листьях появляются пузырьковые пятна. Они часто светлее окружающей ткани, а позже становятся коричневыми. Пятна, похожие на пузыри, возникают в результате разрастания инфицированной ткани листа, которое вызывается веществами, выделяемыми грибком.
Гриб переживает зиму в виде спор в бутонах. Споры прорастают весной и заражают листья. Зараженная ткань листа растет намного быстрее, чем неинфицированная ткань, что приводит к искажению волдырей. Грибок растет и производит споры внутри листа, пока кутикула (поверхностный восковой слой) не будет разорвана массой грибковой ткани.Распространение спор происходит осенью.
Профилактика и лечение: Волдыри на листьях редко бывают достаточно серьезными, чтобы требовать мер борьбы. После заражения фунгициды обычно оказываются неэффективными. Если заражение очень сильное и если дерево достаточно маленькое, чтобы обеспечить хорошее покрытие, весной, непосредственно перед распусканием почек, можно применить фунгицид.
Побурение краев листьев из-за бактериального ожога листьев.
Эдвард Л. Барнард, Департамент сельского хозяйства и бытового обслуживания Флориды, www.forestryimages.org
Бактериальный ожог листьев: Это заболевание вызывается бактерией Xylella fastidiosa и характеризуется нарушением движения воды, снижением силы роста, краевым покраснением или пожелтением с последующим потемнением краев листьев, опаданием листьев, отмиранием и возможная смерть. Симптомы обычно впервые появляются ранней осенью, после летней засухи. Поскольку деревья, зараженные бактериальным ожогом листьев, будут постепенно уменьшаться, может пройти от пяти до десяти лет, прежде чем дерево потребуется.Это заболевание чаще наблюдается у соснового дуба, красного дуба, белого дуба, черного дуба, галечного дуба и платана. Иногда встречается в красных, серебряных и сахарных кленах, каркасе, вязе и сладкой жевательной резинке.
Профилактика и лечение: Удалите зараженные деревья и пересадите их несколькими разными видами. Не сажайте близко друг к другу все виды растений. Бактерия распространяется цикадками и плевками. Борьба с сорняками и дикими растениями, которые поддерживают этих насекомых.Дополнительные меры по удобрению и поливу могут продлить жизнь зараженного дерева, но деревья с сильным ожогом и усыханием листьев следует удалять. В настоящее время обработка распылением недоступна. Тем не менее, сертифицированные арбористы могут ежегодно делать инъекции антибиотиков для лечения обострения корня, используя окситетрациклин (например, бакастат), который может уменьшить симптомы, подавляя патоген.
Actinopelte Leaf Spot: Это грибковое заболевание может быть серьезной проблемой в сырую погоду. Вызывается грибком Tubakia dryina (ранее назывался Actinopelte dryina ).Симптомы — круглые, от темных до красновато-коричневых пятен на листьях диаметром от до ½ дюйма. Пятна могут сливаться вместе, образуя пятна неправильной формы. На пятнах и вкраплениях видны крохотные черные крапинки в кольцах. Тяжелые инфекции приводят к преждевременному опаданию листьев на деревьях. Деревья низкой силы роста, которые неоднократно дефолируют, могут погибнуть.
Профилактика и лечение: Уничтожение всего зараженного растительного материала снизит распространение грибка. Небольшие деревья, опавшие несколько лет подряд, могут нуждаться в опрыскивании.Нанесите манкоцеб, хлороталонил, тиофанат-метил или фунгицид меди в соответствии с инструкциями на этикетках. Для контроля необходимо полное покрытие. См. Таблицу 1 с примерами конкретных продуктов.
Белый налет на листьях, вызванный мучнистой росой.
Петр Капитола, Государственная фитосанитарная администрация, www.forestryimages.org
Мучнистая роса: Это заболевание вызывается несколькими грибами ( Erysiphe trina , Microsphaera alni , Phyllactinia corylea и / или Sphaerotheca lanestris ).Симптомы включают белый порошкообразный нарост на обеих поверхностях листьев. Листва может быть деформирована, преждевременно опадать или высыхать и сморщиваться. Иногда серовато-белый грибок с возрастом становится коричневым, а затем коричневым. Крошечные черные точки (плодовые тела) можно увидеть на коричневом войлоке, в одни годы обильно, в другие — редко.
Профилактика и лечение: Контроль обычно нецелесообразен и не оправдан. Миклобутанил, триадимефон или тиофанат-метил могут использоваться для борьбы с мучнистой росой в тяжелых случаях.Следуйте указаниям на этикетке. См. Таблицу 1 с примерами конкретных продуктов.
Грибы коренной гнили Armillaria возле зараженного дуба.
Джои Уильямсон, © 2013 HGIC, Clemson Extension.
Корневая гниль Armillaria: Заболевание, вызываемое грибком Armillaria mellea , широко распространено на дубе. Симптомы — медленное увядание дерева. Плодовые образования грибов на корневой шейке или рядом с ней преобладают в конце лета и осенью, особенно во влажную погоду.
Профилактика и лечение: Удалите больные деревья и как можно большую часть корневой системы. Не пересаживайте участок с уязвимым хозяином. Деревья, устойчивые или толерантные к корневой гнили армиллярии, включают кипарисовик ( Taxodium distichum ), вяз китайский ( Ulmus parvifolia ), красное дерево рассвета ( Metasequoia glyptostroboides ), эвкалипт, гинкго ( гинкго билоба) ( cinkgo biloba). Cryptomeria japonica ), кипарисовик Leyland ( Cupressocyparis leylandii ), клен ( Acer spp.), кислая древесина ( Oxydendrum arboreum ) и сладкая камедь ( Liquidambar styraciflua ).
Бесполая коричневая строма гриба и черная половая стадия Hypoxylon на дубе.
Мэг Уильямсон, Клиника диагностики растений и вредителей, Университет Клемсона,
Гипоксилонный язв: Это грибковое заболевание белой гнили, поражающее главным образом дубы, гикори и орехи пекан в Южной Каролине, и вызывается Biscogniauxia atropunctata var. atropunctata (син. Hypoxylon atropunctatum ) . Многие виды дубов восприимчивы к этому заболеванию, но чаще всего поражаются дубовый дуб, водяной дуб, южный красный дуб, белый дуб и дуб блэкджек. Этот условно-патогенный микроорганизм является обычным обитателем коры лиственных деревьев, но это имеет значение только тогда, когда деревья подвергаются сильному стрессу. Экологический стресс, вызванный засухой, а также повреждением корней во время строительства, прокладкой траншей в корневой зоне, изменением качества почвы, уплотнением почвы и заболеваниями корней — все это может сыграть роль в ослаблении деревьев и в последующем заражении B.atropunctata var. atropunctata. Любое повреждение корня приведет к снижению поглощения воды деревьями, и стресс от засухи, по-видимому, является наиболее значительным фактором заражения.
По мере того, как грибок распространяется и образует язвы, первым наблюдаемым признаком является отмирание задней части кроны (верхушки) зараженного дерева. Однако другие проблемы с деревом также могут привести к отмиранию. Впоследствии в местах заражения начинает отслаиваться внешняя кора, и у основания дерева можно увидеть кусочки коры.Эта потеря коры выявляет первый признак грибка — коричневатую строму гриба, в которой образуются конидии (или бесполые споры) патогена. Эта область может иметь длину от нескольких дюймов до нескольких футов на конечностях и туловищах. Эти конидии разносятся ветром и могут вызывать новые инфекции на других деревьях.
По мере того, как инфекция продолжает развиваться, открытая область грибковой стромы меняет цвет на серый или серебристый и, наконец, на черный, поскольку образуется второй тип спор. Это половая стадия грибка, и эти споры, которые также являются заразными, распространяются брызгами дождя или насекомыми на близлежащие деревья.
Профилактика и лечение: Не существует средств контроля язвы Hypoxylon на этих деревьях лиственных пород после того, как на стволе началась инфекция. Если заражение наблюдается на ветвях, их можно удалить и сжечь, но могут быть и другие места заражения, которые еще не видны на дереве.
Снижение стресса — ключ к предотвращению заражения. Держите деревья как можно более здоровыми.
- Защищать деревья от повреждений при жилищном строительстве и хозяйственном ремонте.Для получения дополнительной информации см. HGIC 1002, Защита деревьев во время строительства .
- Поливайте деревья в период летней засухи 1 дюйм поливной воды в неделю. Для получения дополнительной информации о правильном поливе см. HGIC 1056, Полив кустарников и деревьев .
- Деревья следует мульчировать 3-дюймовым слоем органической мульчи от ствола до капельной линии, но не накапливайте мульчу на стволе. Для получения дополнительной информации о мульчировании деревьев см. HGIC 1604, Mulch .
- Не применяйте средства для уничтожения сорняков возле дерева, особенно под кроной ветвей.
- В начале апреля удобряйте деревья удобрениями для медленно растущих деревьев и кустарников. Для получения дополнительной информации о правильном внесении удобрений см. HGIC 1000, Подкормка деревьев и кустарников .
- Удалите и сожгите или утилизируйте все зараженные деревья, а оставшиеся пни срежьте на одном уровне с почвой.
Споры желчной ржавчины сосны с пустулами на дубовом листе.
Роберт Л.Андерсон, Лесная служба Министерства сельского хозяйства США, www.forestryimages.org
Сосново-дубовая галловая ржавчина (восточная галловая ржавчина): Грибок Cronartium quercuum вызывает желчную ржавчину примерно на 25-30 видах сосны и дуба. Заражение дуба вызывает появление небольших коричневых или пожелтевших участков на листьях. На нижней стороне листьев виден порошок (споры) от желтого до оранжевого цвета.
Профилактика и лечение: Все споры грибов, поражающие как сосну, так и дуб, в основном переносятся ветром.Высокая влажность увеличивает вероятность заражения. Химический контроль обычно не требуется. Фунгицид миклобутанил можно наносить на дубы в соответствии с указаниями на этикетке. Следуйте указаниям на этикетке. См. Таблицу 1 с примерами конкретных продуктов.
Омела
Заражение омелой становится очевидным зимой.
Рэнди Сир, GREENTREE Technologies, www.forestryimages.org
Если после того, как все листья упали осенью, на ваших деревьях все еще остались зеленые комочки на верхушках, значит, на ваших деревьях паразитирует омела ( Phoradendron видов), растение-паразит.Хотя омела получает воду и минералы из дерева, она не полностью зависит от дерева в плане питания. Зеленые листья этого растения содержат хлорофилл и способны самостоятельно готовить себе пищу. Из омелы образуются маленькие белые ягоды, которые чрезвычайно токсичны для человека. Стебли и листья также токсичны и, как сообщается, у некоторых людей при контакте с ними вызывают раздражение кожи.
Профилактика и лечение: С омелой можно бороться, отрезая инфицированные конечности на 1–2 фута ниже точки прикрепления.В некоторых случаях удаление верхушки омелы оказалось эффективным средством борьбы. Ethephon (Florel Brand Fruit Eliminator) предназначен для борьбы с омелой. С большими заражениями может быть трудно бороться с помощью однократного распыления, и может потребоваться повторная обработка. Применяйте после опадания листьев в середине зимы.
Лишайники
Лишайник — это необычный организм, состоящий из грибка и водоросли, живущих вместе симбиотически. Водоросли превращают солнечный свет и двуокись углерода в воздухе в пищу.Грибок окружает водоросль, защищая ее от высыхания, и живет за счет пищи, которую он дает. Лишайники выглядят как зеленые или серо-зеленые листовые или покрытые коркой наросты на стволе и ветвях плохо здоровых деревьев. Они абсолютно безвредны и никоим образом не влияют на плохое состояние дерева. Причина, по которой они связаны с увяданием растений, заключается в том, что по мере того, как древесные растения теряют силу и падают, количество и размер листьев уменьшается. Это позволяет большему количеству солнечного света, необходимого для роста лишайников, достигать ствола и ветвей.
Профилактика и лечение: Если здоровье растений будет восстановлено путем устранения реальной причины упадка, листья увеличатся в размерах и количестве; меньше солнечного света попадет на туловище и конечности; и лишайники постепенно исчезнут.
Испанский мох
Густые заросли испанского мха, утяжеляющие под дождем стволы дуба.
Карен Расс, © 2008 HGIC, Clemson Extension
Испанский мох ( Tillandsia usneoides ) — эпифит. Эпифит — это организм, который живет на растении, используя только растение для поддержки и защиты.Испанский мох не питается непосредственно деревом, но получает воду и питательные вещества из воздуха и дождя. Испанский мох обитает только в теплых и влажных районах южных и прибрежных районов штата. Каждый пучок мха состоит из массы длинных серо-зеленых нитей, которые являются его стеблями и листьями. Поскольку листья испанского мха нуждаются в солнечном свете для производства собственной пищи, он обычно находится на деревьях, находящихся в состоянии упадка. Сильное заражение испанского мха может привести к дальнейшему упадку дерева из-за затенения нижних листьев, а вес больших масс влажного испанского мха может привести к поломке конечностей.
Профилактика и лечение: Повышение силы роста деревьев за счет правильного полива и удобрений — один из способов ограничить рост испанского мха. Удаление вручную также может потребоваться, чтобы полностью избавиться от дерева.
Насекомые и родственные вредители
Галл дубовый крупный, один из многих видов галлов дуба.
Джеймс Соломон, Лесная служба Министерства сельского хозяйства США, www.forestryimages.org
Галлы: На дубе обнаружено не менее 750 различных галлов.На самом деле на дубе больше галлов, чем на любом другом растении. Галлы определяются как нерегулярные наросты или опухоли. Они сильно различаются по размеру, форме и расположению на растении. Развитие желчи — это реакция тканей растения на кормление или откладывание яиц различными клещами и насекомыми. Хотя большинство галлов не наносят серьезного вреда дубам, большинство из них выглядят некрасиво и портят красоту дерева. Галлы веточек могут убить отдельные конечности, а иногда и все дерево.
Контроль: Многие галлообразующие насекомые и клещи заражены другими насекомыми и питаются различными птицами и животными.Простое удаление и уничтожение опавших листьев с галлами поможет уменьшить количество взрослых особей, которые дадут потомство следующему поколению. По возможности, все стеблевые галлы следует обрезать, пока они зеленые, или до появления всходов. В большинстве случаев химический контроль нецелесообразен или неэффективен. Особенно это касается больших деревьев.
Дубовый червь с оранжевой полосой в середине и конце лета.
Лесная служба Министерства сельского хозяйства США — Северо-восточный архив области, Лесная служба Министерства сельского хозяйства США, www.forestryimages.org
Дубовые черви: В Южной Каролине встречаются три близкородственных вида бабочек ( Anisota senatoria , A. stigma и A. virginiensis ). Их личинки (или гусеницы) — вредители дуба, обильно питающиеся листьями. Дубовый червь оранжево-полосатый ( Anisota senatoria ) является наиболее часто встречающимся. В зрелом возрасте он составляет около 2 3/16 дюйма (5,5 см) в длину и имеет два длинных тонких черных «рога», которые выступают из второго сегмента за головой.Осенью он сползает на землю и зарывается в землю. Зимует (переживает зиму) в почве и созревает до взрослой особи (моль). Бабочки появляются в июне-июле. Самки бабочек откладывают яйца на нижнюю поверхность дубовых листьев. Когда личинки вылупляются, они маленькие и зеленовато-желтые. Маленькие гусеницы обычно питаются группами и поедают весь лист, за исключением кружевной сети жилок. Оранжево-полосатые гусеницы созревают и к ранней осени достигают своего полного размера. Старые гусеницы черные с желтыми или оранжевыми полосами по длине тела.Старые гусеницы, как правило, едят одиночно. Они съедают весь лист, кроме основной жилки.
В результате кормления гусениц небольшие деревья могут потерять все листья к середине лета. В то время как здоровые деревья могут переносить кормление дубовыми червями, молодые деревья могут быть ослаблены, если теряют все листья несколько лет подряд. Взрослые деревья могут потерять достаточно листьев, чтобы отмереть ветки в результате повреждения солнечным ожогом.
Контроль: При небольшом заражении молодых деревьев гусеницы можно собирать вручную и уничтожать.На больших деревьях управлять сложнее. По возможности полагайтесь на птиц, паразитов и болезни, чтобы контролировать их численность естественным путем. Если возникает необходимость в химическом контроле, рекомендуются следующие инсектициды: перметрин, цифлутрин, лямбда-цигалотрин, бифентрин, ацефат и спиносад. Bacillus thuringiensis (B.t.) — это микробный инсектицид, содержащий споры этой бактерии. Он эффективен против молодых личинок и является более безопасной альтернативой при опрыскивании деревьев.Следуйте указаниям на этикетке. См. Таблицу 1 с примерами конкретных продуктов.
Масштаб: Различные виды чешуи — вредители дуба. Чешуя — необычные насекомые по внешнему виду. Взрослые они маленькие и неподвижные, без видимых ног. Они различаются по внешнему виду в зависимости от возраста, пола и вида. Чешуя питается соком, прокалывая лист или стебель ротовым аппаратом и всасывая. Питаясь соком растений, некоторые щитовки (мягкая чешуя) выделяют сахаристое вещество, называемое медвяной росой.Грибок сажистой плесени питается медвяной росой, что приводит к появлению неприглядных темных грибков.
Леканская чешуя дуба на мелких веточках.
Джеймс Соломон, Лесная служба Министерства сельского хозяйства США, www.forestryimages.org
Дуб чешуйчатый ( Parthenolecanium quercifex ) является обычным вредителем дубов. Взрослые самки имеют диаметр от 1 / 16 до дюйма (от 2 до 6 мм). Они круглые и красновато-коричневые. У самцов есть крылья, коричневые. Самка откладывает яйца в апреле-мае. Из яиц вылупляются краулеры (незрелые щитовки).Также краулеры высасывают сок из листьев. Серьезные заражения чешуей могут привести к задержке роста растений, появлению мелких цветов, пожелтению листьев и раннему опаданию листьев. Кроме того, присутствие пади приводит к появлению темных пятен на поверхности листьев.
Контроль: Комбинация различных естественных врагов, включая божьих коровок (божьих коровок) и паразитических ос, обычно держит чешую под контролем. На небольших деревьях с легким заражением можно соскрести чешуйку или удалить зараженные ветви и уничтожить их.В большом дереве химический контроль накипи не всегда практичен. Размер дерева, необходимость в специализированном оборудовании и стоимость могут препятствовать этому решению.
Весы нелегко контролировать химическими инсектицидами. Взрослые особи защищены восковым покровом. При сильном заражении щитовками весной и осенью опрыскивайте садовым маслом, чтобы убить взрослых особей, ползунков и яйца, задушив их. Обязательно тщательно промажьте ствол и все ветки.
Однако ползункичувствительны к обычным инсектицидам. Следите за появлением краулера с помощью липких карточек, двусторонней ленты, намотанной вокруг ветки, или помещая зараженный побег или лист в мешочек и наблюдая за движением краулера. Инсектициды, предназначенные для использования домовладельцами против чешуекрылых на дубах, включают цифлутрин, перметрин, бифентрин, лямбда-цигалотрин и малатион. Применяйте один из этих материалов, когда появляются краулеры, и повторите попытку через 10 дней. Как и в случае со всеми пестицидами, прочтите и соблюдайте все инструкции и меры предосторожности на этикетках.См. Таблицу 1 с примерами конкретных продуктов.
Примечание: Химическая борьба с болезнями и насекомыми на больших деревьях обычно неосуществима, так как невозможно обеспечить адекватное покрытие листвы пестицидом. Использование садового масла — более безопасная альтернатива инсектицидам для опрыскивания вверх на большое дерево.
Таблица 1. Инсектициды и фунгициды для борьбы с насекомыми-вредителями и болезнями дуба.
| Инсектициды и фунгициды | Примеры торговых марок и продуктов |
| Ацефат | Bonide Концентрат для борьбы с насекомыми для системного применения |
| Bacillus thuringiensis (B.т.) | Bonide Thuricide Bt Концентрат Monterey Bt Natural Guard Caterpillar Killer Spray с Bt Conc. Более безопасный убийца Caterpillar с концентратом Bt Southern Ag Thuricide Bt Концентрат Caterpillar Control Концентрат убийцы червя Tiger Brand |
| Бифентрин | Bifen I / T Concentrate Ferti-lome Wide Spectrum Insecticide Concentrate Hi-Yield Bug Blaster Bifenthrin 2.4 концентрата Ortho Bug-B-Gon Insect Killer для газонов и садов Концентрат TalStar P Concentrate Up-Star Gold Insecticide Concentrate |
| Хлороталонил | Bonide Fung-onil Многоцелевой фунгицид Ferti-lome Широкий спектр фунгицидов для ландшафтов и садов GardenTech Daconil Fungicide Concentrate Высокоурожайный фунгицид для овощей, цветов, фруктов и декоративных растений Monterey Fruit Tree, Vegetable & Ornamental Fungicide Ortho Max Garden Disease Контрольный концентрат Southern Ag Жидкий фунгицид для декоративных растений и овощей Tiger Brand Daconil |
| Фунгициды на основе меди | Жидкий медный концентрат Bonide Camelot O Концентрат фунгицидов / бактерицидов Концентрат Monterey Liqui-Cop; & RTS 1 Southern Ag Жидкий фунгицид меди Natural Guard Copper Soap Жидкий концентрат фунгицида |
| Цифлутрин | Байер BioAdvanced Vegetable & Garden Insect Spray Conc.; И РТС 1 |
| Садовое масло | Bonide All Seasons Spray Oil Concentrate Ferti-lome Horticultural Oil Spray Concentrate Monterey Horticultural Oil Concentrate Southern Ag Parafine Horticultural Oil Summit Круглогодичный масляный концентрат для спрея |
| Лямбда-цигалотрин | Spectracide Triazicide Концентрат для уничтожения насекомых для газонов и ландшафтов; & RTS 1 Martin’s Cyonara Концентрат для газонов и садов |
| Малатион | Bonide Malathion Concentrate Hi-Yield 55% Malathion Insect Spray Gordon’s Malathion 50% Spray Concentrate Martin’s Malathion 57% Concentrate Ortho Malathion Plus Concentrate Insect Spray Concentrate Southern Ag Malathion 50% EC Spectracide Malathion Insect Spray Concentrate 50% EC Spectracide Malathion Insect Spray Concentrate % Концентрат малатиона |
| Манкозеб | Bonide Mancozeb Flowable с концентратом цинка Southern Ag Dithane M-45 |
| Миклобутанил | Spectracide Immunox Многоцелевой концентрат фунгицидов Ferti-lome F-Stop фунгицид для газонов и садов Monterey Fungi-Max |
| Перметрин | Bonide Eight Концентрат для борьбы с насекомыми и овощами, фруктами и цветами Bonide TOTAL для борьбы с вредителями — концентрат для наружного применения Высокопроизводительный концентрат инсектицидов широкого применения для внутренних и наружных помещений Концентрат Tiger Brand Super 10 |
| Пропиконазол | Banner Maxx Fungicide Bonide Infuse Systemic Disease Control Concentrate Bonide Eight Yard & Garden Ready to Spray (RTS 1 ) Жидкий концентрат системного фунгицида II Ferti-lome |
| Спиносад | Bonide Captain Jack’s Deadbug Brew Concentrate; & RTS 1 Bonide Colorado Potato Beetle Concentrate Ferti-lome Borer, Bagworm & Leafminer Spray Concentrate Monterey Garden Spray Spray Concentrate Natural Guard Spinosad Пейзаж и садовый инсектицид RTS 1 Южный заповедник Insectrate AG. Dow Conserve SC Концентрат для травы и декоративных растений Концентрат для деревьев и кустарников от насекомых Ortho |
| Тиофанат-метил | Cleary’s 3336-WP Фунгицид для травы и декоративных растений Тиомиловый системный фунгицид Southern Ag |
| 1 RTS = Готовность к распылению (аппликатор на конце шланга) | |
Если этот документ не отвечает на ваши вопросы, свяжитесь с HGIC по адресу hgic @ clemson.edu или 1-888-656-9988.
Почему мое яблоневое дерево теряет листья?
Из-за грибка парши яблони на яблонях осталось мало листьев на деревьях, но дерево не умирает.
Почему мои яблочки так плохо выглядят? Этот вопрос неоднократно задавали люди, обратившиеся к горячей линии для лужаек и садов Мичиганского государственного университета этим летом. Гриб Venturia inaequalis , известный как парша яблони, представляет собой пятнистую болезнь листьев, которая может вызвать серьезное опадание листьев на восприимчивых яблоневых деревьях.
Продолжительные дожди в мае этого года создали условия для развития спор парши яблони. Зараженные паршой листья прошлого сезона, оставленные на земле вокруг дерева, являются источником спор грибов, которые могут заразить яблоню следующей весной. Споры этих старых листьев переносятся воздушными потоками к новым развивающимся листьям. Эта первичная инфекция вызывает появление пятен оливкового цвета на листьях.
По мере роста грибка на листьях образуются новые споры, вызывая вторичное заражение листьев и плодов.Поврежденные листья становятся скрученными и желтоватыми с повреждениями, со временем становятся коричневыми. Тяжелая болезнь приводит к преждевременному опаданию листьев. На плодах, пораженных паршей яблони, образуются приподнятые, похожие на паршу поражения, и сильно инфицированные плоды падают с дерева.
Сорта яблони могут сильно различаться по чувствительности к парше яблони ( Venturai inaequalis) . У восприимчивых деревьев к августу часто почти не остается листьев, что снижает способность растений производить и накапливать энергию для будущего роста.Это ослабляет дерево и снижает его жизнеспособность и способность преодолевать стрессы окружающей среды. Дерево на моем старом заднем дворе в Ливонии летом теряло почти все листья, но продолжало давать прекрасные цветы каждую весну. Он пережил воздействие парши яблони более 50 лет. Сидя в дальнем углу дома, было легко не заметить отсутствие листвы летом.
Что делать с паршой яблони
При принятии решения о том, как бороться с этой болезнью пятнистости листьев, необходимо рассмотреть несколько вопросов.Это происходит каждый год? Если это происходит каждый год, насколько серьезно последствия? Сохраняет ли дерево большую часть листьев?
Конечно, один из способов справиться с этим — ничего не делать. Это хорошо работает, если у вас есть яблоня, такая как та, что у меня на заднем дворе, где потеря листьев не была так заметна и не перевешивала красоту весенних цветов. Для восприимчивых деревьев, целью которых является сохранение листьев, потребуется своевременное применение фунгицидов. Фунгициды лучше всего работают в качестве профилактических обработок с программой опрыскивания, которая начинается при первых признаках появления листьев весной и продолжается в течение влажной погоды и умеренных температур весны до начала лета.Расширение Университета Миннесоты предоставляет подробную информацию о борьбе с паршой яблони в разделе «Обработка парши яблони на декоративных деревьях и кустарниках».
Независимо от того, решите вы использовать фунгицид или нет, есть несколько шагов, которые могут помочь уменьшить распространение грибка. Обрезайте деревья ранней весной, чтобы обеспечить хорошую циркуляцию воздуха, что сокращает время, в течение которого растения остаются влажными после дождя или от росы. Оцените окружающий ландшафт на предмет заросших деревьев и кустарников, которые затеняют, врастают или теснят восприимчивую яблоню.Нужно ли подрезать некоторые растения подальше от дерева, чтобы увеличить свет и циркуляцию воздуха? Кроме того, убедитесь, что разбрызгиватели не смачивают листья яблони, создавая условия для роста парши.
Санитария может помочь уменьшить источник грибка. Соберите и утилизируйте листья и плоды, зараженные грибком, падающим с дерева. Это не устранит все источники грибка, поскольку споры могут переноситься ветром с яблок и листьев яблони в соседние дворы, но это может снизить раннее воздействие болезни.
Другой вариант — удалить очень восприимчивые яблоки и заменить их устойчивыми сортами. С более чем 100 разновидностями, доступными в индустрии питомников, вы можете выбрать размер и форму растения, цвет цветов и плодов, размер плодов, а также устойчивость к патогену парши яблони. Список яблочных яблок с устойчивостью к парше см. В публикации Purdue Extension «Яблоки, устойчивые к парше яблони и японскому жуку в Индиане».
Вы нашли эту статью полезной?
Расскажите, пожалуйста, почему
представить .

Древесина под зараженной корой гниет. При поражении развилок ветви обламываются. Рост новых побегов угнетен
Если поражение «окольцовывает» весь ствол, дерево гибнет
При подсыхании язвы становятся клиновидными, образуются заметные утолщения (валики) на границе здоровой и больной ткани
Максимально поражаются клоновые подвои, взятые с культиваров
Прилистники несоразмерно большие, с острыми зубчиками. Пораженные деревья поздно формируют бутоны; цветы имеют неправильную форму и лепестки зеленоватого цвета. Плоды получаются безвкусные, мелкие
Угнетение роста и усыхание концов молодых побегов. Измельчание и морщинистость плодов
Если поблизости нет спор грибка, носителя рака, такие повреждения зарастают. Однако бывает так, что в поврежденные древесные ткани проникают споры ракового грибка. Они мгновенно заселяют большую часть площади и уродуют древесную ткань, вызывая в ней генетические повреждения, а в дальнейшем, и гибель.

